Diptera.info :: Identification queries :: Diptera (adults)
Who is here? 1 guest(s)
|
Clinohelea sp.? (Tachydromia sp.)
|
|
| Mucha Fero |
Posted on 21-11-2011 06:08
|
|
Member Location: Posts: 8424 Joined: 27.09.10 |
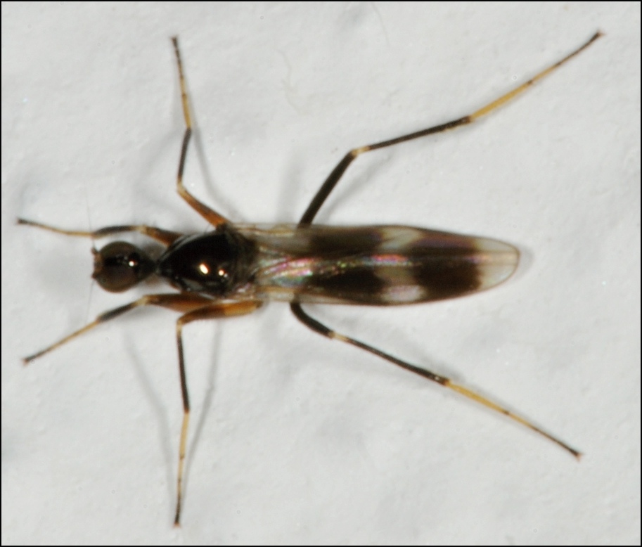
Clinohelea sp._Ceratopogonidae is the correct name? Thank you very much. Slovak Republik, Terchová region on the Malá Fatra, Siding a house 524 m to the sea 02.11.2011.
Mucha Fero attached the following image: ![]() [187.51Kb] Edited by Mucha Fero on 21-11-2011 13:46 |
|
|
|
| Paul Beuk |
Posted on 21-11-2011 09:36
|
|
Super Administrator Location: Netherlands Posts: 19403 Joined: 11.05.04 |
Hybotidae: Tachydromia sp.
Paul - - - - Paul Beuk on https://diptera.info |
| Mucha Fero |
Posted on 21-11-2011 13:55
|
|
Member Location: Posts: 8424 Joined: 27.09.10 |
Paul Beuk wrote: Hybotidae: Tachydromia sp. Paul thank you very much. |
|
|
|
| Jump to Forum: |














