Diptera.info :: Identification queries :: Diptera (adults)
Who is here? 1 guest(s)
|
Scathophagid ?
|
|
| peterbolson |
Posted on 26-06-2010 18:40
|
|
Member Location: Cumbria, UK Posts: 276 Joined: 07.06.10 |
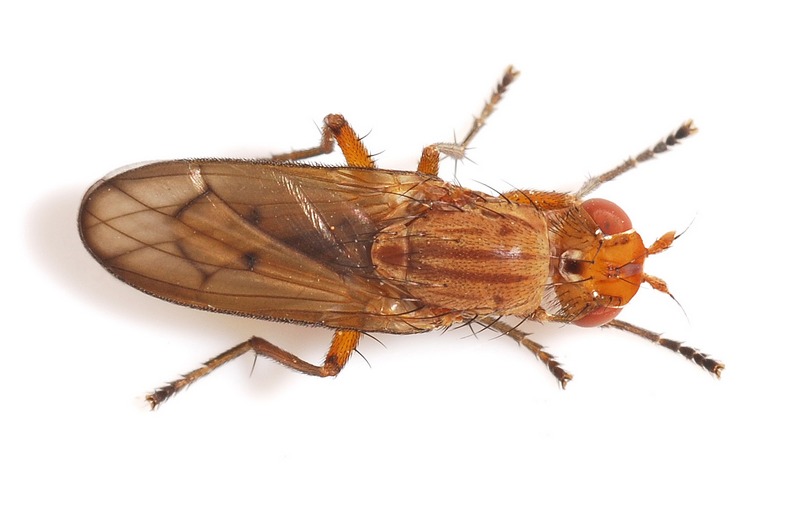
I think this orange coloured fly is probably a scathophagid but it's not one I recognize. 10mm long from rough grass. Peter peterbolson attached the following image: ![]() [65.74Kb] |
|
|
|
| peterbolson |
Posted on 26-06-2010 18:41
|
|
Member Location: Cumbria, UK Posts: 276 Joined: 07.06.10 |
another
peterbolson attached the following image: ![]() [56.8Kb] |
|
|
|
| Andrzej |
Posted on 26-06-2010 19:13
|
|
Member Location: Poland Posts: 2432 Joined: 05.01.06 |
Sciomyzidae
dr. A. J. Woznica, Institute of Environmental Biology, Wroclaw University of Environmental & Life Sciences |
|
|
|
| peterbolson |
Posted on 26-06-2010 19:30
|
|
Member Location: Cumbria, UK Posts: 276 Joined: 07.06.10 |
Thanks Andrzej. It's not a family I've come across before so that's good. Looking through other postings, could it be Tetanocera phyllophora/elata, which looks similar & doesn't have striped eyes ? Regards Peter |
|
|
|
| Stephane Lebrun |
Posted on 27-06-2010 10:16
|
|
Member Location: Le Havre, France Posts: 8248 Joined: 03.03.07 |
I agree with your suggestion.
Stephane. |
|
|
|
| peterbolson |
Posted on 27-06-2010 18:28
|
|
Member Location: Cumbria, UK Posts: 276 Joined: 07.06.10 |
Thanks Stephane. Hopefully I will recognize the family next time ![]() Is it possible to edit the thread title so that it isn't so misleading ? Edited by peterbolson on 27-06-2010 18:29 |
|
|
|
| Jump to Forum: |















