Diptera.info :: Identification queries :: Diptera (adults)
Who is here? 1 guest(s)
|
Keroplatidae (NL)
|
|
| blaauw7 |
Posted on 18-07-2021 20:02
|
|
Member Location: Wageningen, Netherlands Posts: 2566 Joined: 22.09.07 |
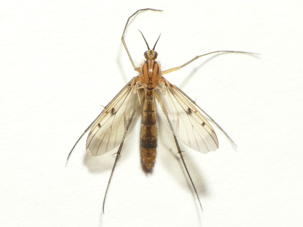
16 July, Sky light, mid Netherlands. Keroplatidae ? Gr Dick blaauw7 attached the following image: ![]() [239.62Kb] |
|
|
|
| blaauw7 |
Posted on 18-07-2021 20:03
|
|
Member Location: Wageningen, Netherlands Posts: 2566 Joined: 22.09.07 |
2
blaauw7 attached the following image: ![]() [75.01Kb] |
|
|
|
| John Carr |
Posted on 18-07-2021 23:04
|
|
Super Administrator Location: Colorado, USA Posts: 10652 Joined: 22.10.10 |
Mycetophilidae, subfamily Mycomyinae |
| Paul Beuk |
Posted on 19-07-2021 10:13
|
|
Super Administrator Location: Netherlands Posts: 19403 Joined: 11.05.04 |
Neoempheria sp.
Paul - - - - Paul Beuk on https://diptera.info |
| Jump to Forum: |















