Diptera.info :: Identification queries :: Diptera (adults)
Who is here? 1 guest(s)
|
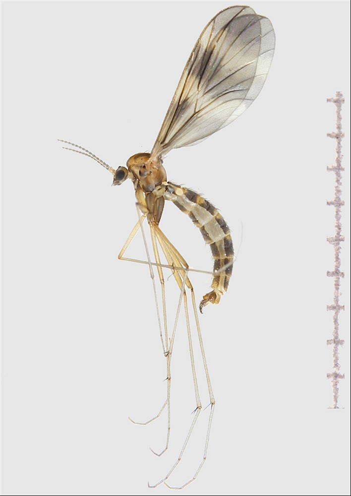
Keroplatidae --> No, Ditomyia fasciata, Ditomyiidae
|
|
| bertrandpami |
Posted on 23-02-2026 16:01
|
|
Member Location: France (near Compiègne) Posts: 1233 Joined: 10.06.11 |
Hi, Today in Polyporaceae - Lenzites betulinus (breeding). Cuise-La-Motte (Northen France) An idea ? Many thanks. Michel bertrandpami attached the following image: ![]() [50.47Kb] Edited by bertrandpami on 24-02-2026 09:44 |
|
|
|
| bertrandpami |
Posted on 23-02-2026 16:01
|
|
Member Location: France (near Compiègne) Posts: 1233 Joined: 10.06.11 |
Other :
bertrandpami attached the following image: ![]() [64.36Kb] |
|
|
|
| Jan Maca |
Posted on 23-02-2026 17:07
|
|
Member Location: Posts: 1296 Joined: 25.03.10 |
Ditomyia fasciata, Ditomyiidae. Greetings, Jan |
|
|
|
| bertrandpami |
Posted on 24-02-2026 09:43
|
|
Member Location: France (near Compiègne) Posts: 1233 Joined: 10.06.11 |
Many thanks, Jan .Best regards. Michel |
|
|
|
| Jump to Forum: |















.