Diptera.info :: Identification queries :: Diptera (adults)
|
Cordilura id
|
|
| maroo |
Posted on 16-12-2020 19:21
|
|
Member Location: Gothenburg, Sweden Posts: 692 Joined: 27.10.14 |
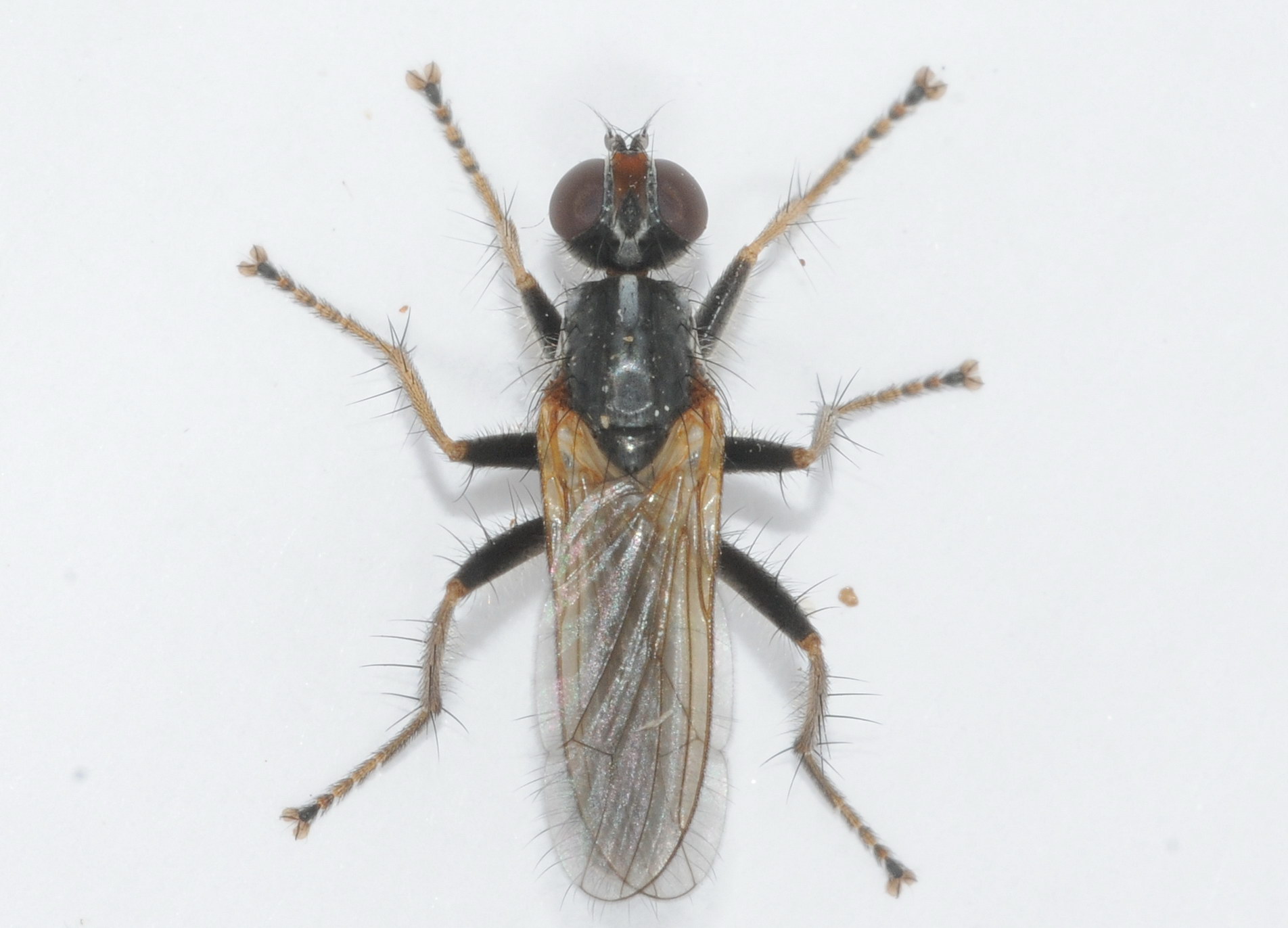
From Sweden in may Could perhaps Cordilura rufipes be correct? Martin maroo attached the following image: ![]() [269.58Kb] |
|
|
|
| maroo |
Posted on 16-12-2020 19:22
|
|
Member Location: Gothenburg, Sweden Posts: 692 Joined: 27.10.14 |
.
maroo attached the following image: ![]() [203.82Kb] |
|
|
|
| Jump to Forum: |














