Diptera.info :: Identification queries :: Diptera (adults)
|
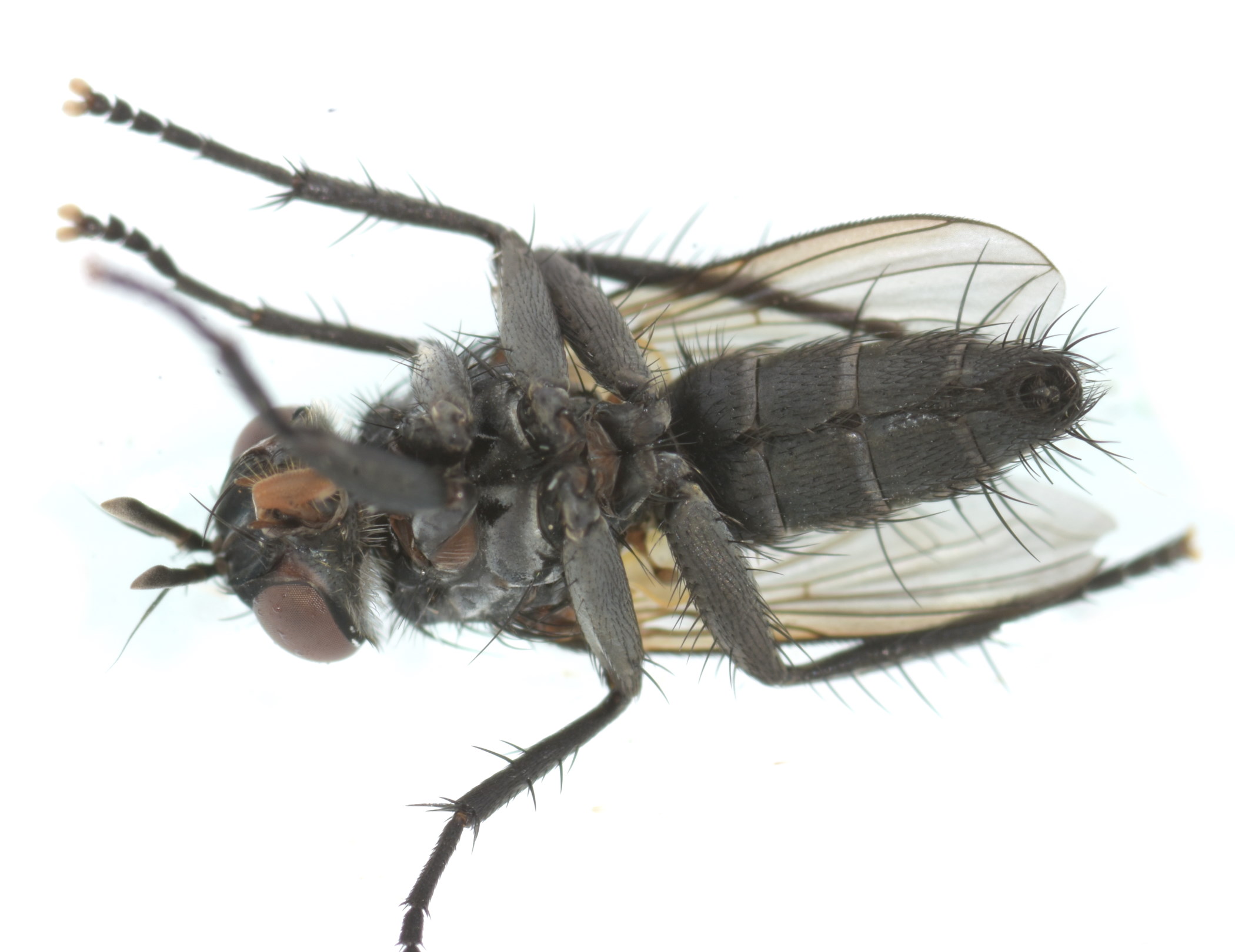
Tachinidae 2 - Leiophora innoxia
|
|
| Morten A Mjelde |
Posted on 10-11-2020 23:12
|
|
Member Location: Posts: 6434 Joined: 29.11.15 |
South Norway, Telemark, 11.08.2020, 6,9 mm. Morten A Mjelde attached the following image: ![]() [299.99Kb] Edited by Morten A Mjelde on 12-11-2020 17:20 |
|
|
|
| Morten A Mjelde |
Posted on 10-11-2020 23:13
|
|
Member Location: Posts: 6434 Joined: 29.11.15 |
2
Morten A Mjelde attached the following image: ![]() [296.06Kb] |
|
|
|
| Morten A Mjelde |
Posted on 10-11-2020 23:13
|
|
Member Location: Posts: 6434 Joined: 29.11.15 |
3
Morten A Mjelde attached the following image: ![]() [271.91Kb] |
|
|
|
| Morten A Mjelde |
Posted on 10-11-2020 23:13
|
|
Member Location: Posts: 6434 Joined: 29.11.15 |
4
Morten A Mjelde attached the following image: ![]() [287.22Kb] |
|
|
|
| Morten A Mjelde |
Posted on 10-11-2020 23:14
|
|
Member Location: Posts: 6434 Joined: 29.11.15 |
5
Morten A Mjelde attached the following image: ![]() [272.12Kb] |
|
|
|
| Zeegers |
Posted on 11-11-2020 18:20
|
|
Member Location: Soest, NL Posts: 19299 Joined: 21.07.04 |
Leiophora innoxia, very nice !! Thoe |
|
|
|
| Morten A Mjelde |
Posted on 12-11-2020 17:19
|
|
Member Location: Posts: 6434 Joined: 29.11.15 |
Thanks a lot! ![]() Rosevinge |
|
|
|
| Jump to Forum: |


















