Diptera.info :: Identification queries :: Diptera (adults)
|
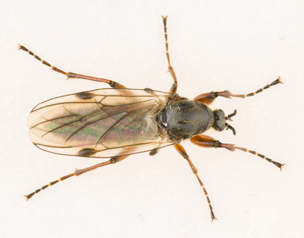
Fly from Russia
|
|
| superpsih |
Posted on 10-11-2020 22:05
|
|
Member Location: Posts: 65 Joined: 31.10.15 |
May, Saratov.
superpsih attached the following image: ![]() [177.79Kb] |
|
|
|
| John Carr |
Posted on 10-11-2020 22:53
|
|
Super Administrator Location: Colorado, USA Posts: 10656 Joined: 22.10.10 |
Bibio |
| Jump to Forum: |














