Diptera.info :: Identification queries :: Diptera (adults)
|
Geomyza cf. hackmani
|
|
| Morten A Mjelde |
Posted on 06-09-2020 22:38
|
|
Member Location: Posts: 6434 Joined: 29.11.15 |
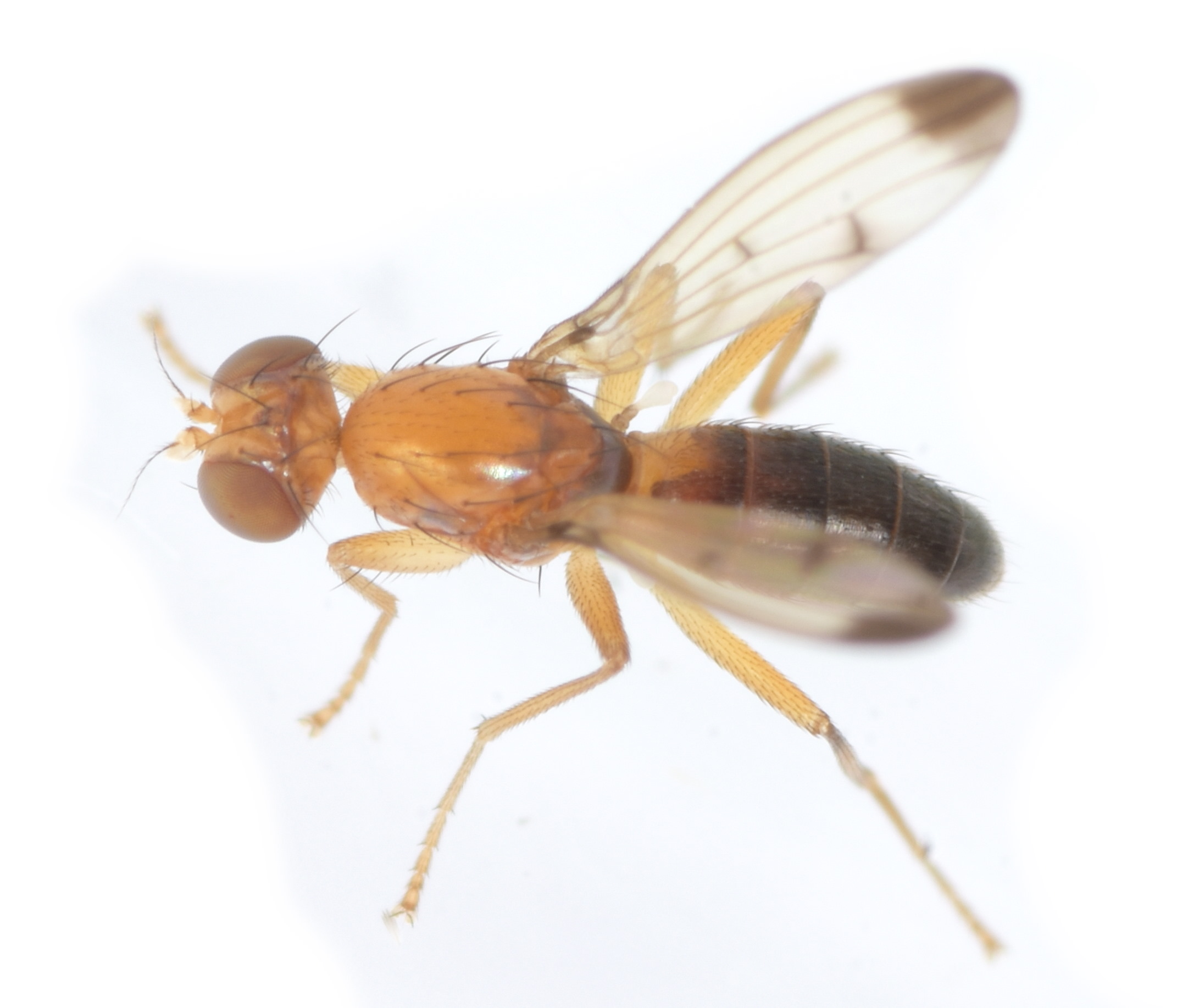
South Norway, Telemark, 10.08.2020, Size: 3,3 mm. Morten A Mjelde attached the following image: ![]() [301.16Kb] Edited by Morten A Mjelde on 14-09-2020 16:56 |
|
|
|
| Morten A Mjelde |
Posted on 06-09-2020 22:39
|
|
Member Location: Posts: 6434 Joined: 29.11.15 |
2
Morten A Mjelde attached the following image: ![]() [289.75Kb] |
|
|
|
| Morten A Mjelde |
Posted on 06-09-2020 22:40
|
|
Member Location: Posts: 6434 Joined: 29.11.15 |
3
Morten A Mjelde attached the following image: ![]() [295.57Kb] Edited by Morten A Mjelde on 06-09-2020 22:41 |
|
|
|
| Morten A Mjelde |
Posted on 06-09-2020 22:42
|
|
Member Location: Posts: 6434 Joined: 29.11.15 |
4
Morten A Mjelde attached the following image: ![]() [285.43Kb] |
|
|
|
| Morten A Mjelde |
Posted on 06-09-2020 22:43
|
|
Member Location: Posts: 6434 Joined: 29.11.15 |
5
Morten A Mjelde attached the following image: ![]() [297.49Kb] |
|
|
|
| Nacho Cabellos |
Posted on 12-09-2020 18:39
|
|
Member Location: Spain Posts: 1594 Joined: 27.09.09 |
Maybe Geomyza hackmani or some similar species, i think |
|
|
|
| Jan Willem |
Posted on 13-09-2020 07:27
|
|
Member Location: Waalwijk, The Netherlands Posts: 2170 Joined: 24.07.04 |
With such a dark subscutellum it indeed seems likely to be a male of Geomyza hackmani. To be a 100% sure you need to study the genitalia though.
Jan Willem van Zuijlen |
|
|
|
| Morten A Mjelde |
Posted on 14-09-2020 16:55
|
|
Member Location: Posts: 6434 Joined: 29.11.15 |
Many thanks to both of you! ![]() Rosevinge |
|
|
|
| Jump to Forum: |


















