Diptera.info :: Identification queries :: Diptera (adults)
|
Tetancora ID Sweden
|
|
| maroo |
Posted on 18-08-2020 20:46
|
|
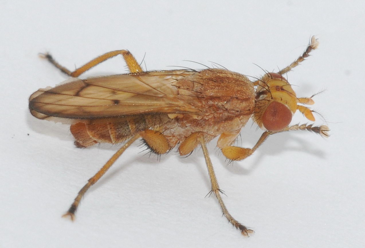
Member Location: Gothenburg, Sweden Posts: 692 Joined: 27.10.14 |
Is this one possible to ID from the angles? Southern Sweden in august Martin maroo attached the following image: ![]() [141.25Kb] |
|
|
|
| maroo |
Posted on 18-08-2020 20:46
|
|
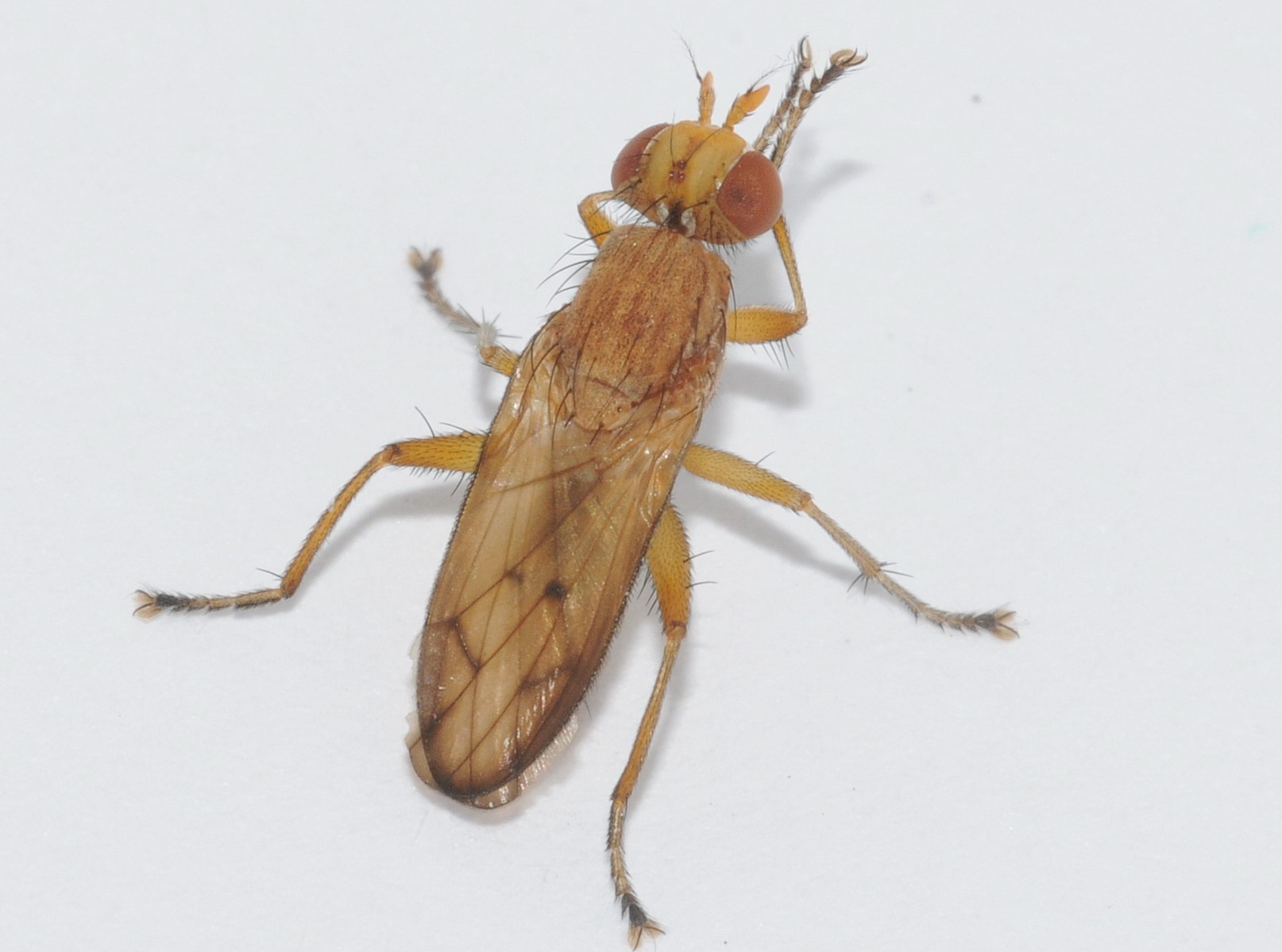
Member Location: Gothenburg, Sweden Posts: 692 Joined: 27.10.14 |
.
maroo attached the following image: ![]() [212.21Kb] |
|
|
|
| Jump to Forum: |














