Diptera.info :: Identification queries :: Diptera (adults)
Who is here? 1 guest(s)
|
Psilidae => Psila helvetica
|
|
| Michael Becker |
Posted on 08-08-2020 06:42
|
|
Member Location: Germany, Neuss Posts: 1268 Joined: 16.01.07 |
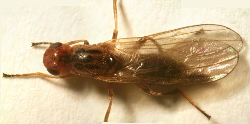
Hello, this 7,5 mm fly is from july from a lower mountain forest in Vorarlberg, Austria. I guess it is a Psilidae. In the gallery there are some species with similar pattern on the thorax, but Chamaepsila bicolor seems to be too small, and Chyliza vittata seems to have always darkened wings. But perhaps I am totally wrong. What is it? Thanks, Michael 17.7.2020; Austria, Vorarlberg, Plattenwald near Klaus. Michael Becker attached the following image: ![]() [53.44Kb] Edited by Michael Becker on 09-08-2020 09:54 |
|
|
|
| Ectemnius |
Posted on 09-08-2020 08:40
|
|
Member Location: The Netherlands Posts: 865 Joined: 22.11.11 |
Hello Michael, This is a nice find. It is indeed a Psilidae. I think of the genus Psila, the species described here: https://www.resea...ral_Europe Psila helvetica! On Darwyn Sumner's site it says as identification features: "Mesonotum yellow, but with an unpaired black stripe medially extended almost to scutellum, and with a pair of black stripes from posterior end of postpronotal lobe to level of dorsocentral seta (sometimes these black stripes may be confluent). Subscutellum black. Body length: 6.5- 7.0 mm". If I'm correct it's a new species for the fauna of Austria! Kind regards, Ectemnius |
|
|
|
| Michael Becker |
Posted on 09-08-2020 09:53
|
|
Member Location: Germany, Neuss Posts: 1268 Joined: 16.01.07 |
Thank you for your answer. The stripes on the mesonotum are in reality even more prominent than on the photo. The article you cite is unfortunately not freely accessable. I now requested it from the authors. We will see, whether they will send it to me. But the description seems to fit very well. The species is rather new (2010) and seems to lack even in the Fauna Europaea, or is there a synonyme? The location I found it is about 10 km from the Swiss border. If the species is new for Austria and perhaps someone who works in diptera research wants it, I could send it to him/her. I actually collect coleoptera and don't have a big diptera collection. Michael |
|
|
|
| Darwyn Sumner |
Posted on 10-08-2020 08:20
|
|
Member Location: UK Posts: 147 Joined: 19.02.05 |
Dear Michael I'm afraid that Fauna Europaea hasn't been updated for some years. My research is more up to date (http://micropezid...t=node/236) where you'll see it's in Norway too. If you do make contact with Anatole Shatalkin then it's worth asking him to check the ID (http://micropezid...my/term/84) It didn't crop up in the French list which Phil Withers was working on (and Jocelyn Claude and I are continuing) despite there being many sites close to Switzerland so it is very scarce. Nearest I can find on Google Earth is the town of Klaus, can you let us have a more precise lat/long Good hunting Darwyn |
| Jocelyn Claude |
Posted on 28-09-2022 21:06
|
|
Member Location: Posts: 45 Joined: 29.08.22 |
Hello ! I'm sorry, I'm only recently registered on this forum and 'discovered' this observation. I just published an article about the discovery of Psila helvetica in France (well Darwyn ), if I had known I would have quoted this mention. https://www.researchgate.net/publication/363659087_Note_on_Psila_helvetica_Shatalkin_Merz_2010_a_new_rust_fly_Diptera_Psilidae_for_mainland_France_with_key_to_French_species_and_male_genitalia_illustration Psila helvetica is therefore known from Switzerland, Austria and France (and that's all, not Finland as falsely stated). Do you still have the specimen? Could you send it to me for study? All the best! Jocelyn |
|
|
|
| Jump to Forum: |















), if I had known I would have quoted this mention.