Diptera.info :: Identification queries :: Diptera (adults)
|
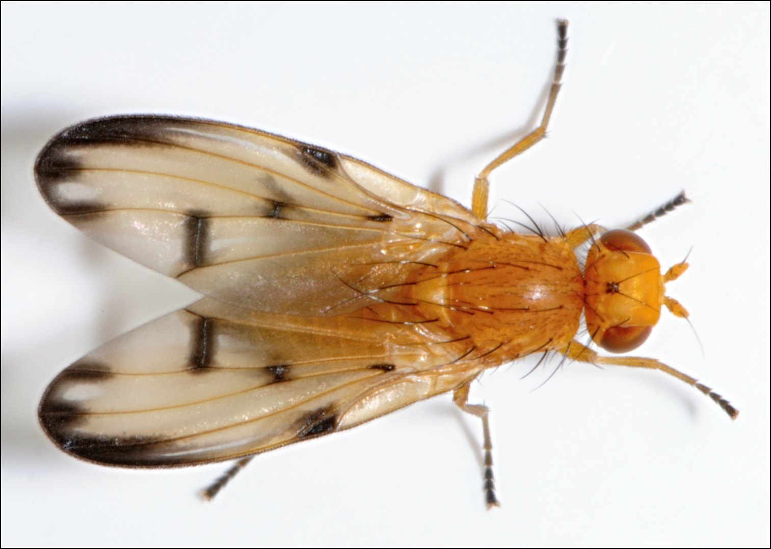
Toxoneura quinquemaculata (female)
|
|
| Mucha Fero |
Posted on 06-06-2019 07:38
|
|
Member Location: Posts: 8428 Joined: 27.09.10 |
Lauxaniidae_Meiosimyza decempunctata(female) is the correct name? Slovak Republic, Malá Fatra, approximately altitude cca 514 m a. s. l. Thank you very much for your help. Best regards. Fote date: 06. 06. 2019.
Mucha Fero attached the following image: ![]() [185.45Kb] Edited by Mucha Fero on 06-06-2019 08:58 |
|
|
|
| Mucha Fero |
Posted on 06-06-2019 07:38
|
|
Member Location: Posts: 8428 Joined: 27.09.10 |
[quote]Mucha Fero wrote:
Mucha Fero attached the following image: ![]() [196.9Kb] |
|
|
|
| Mucha Fero |
Posted on 06-06-2019 07:39
|
|
Member Location: Posts: 8428 Joined: 27.09.10 |
[quote]Mucha Fero wrote:
Mucha Fero attached the following image: ![]() [193.43Kb] |
|
|
|
| libor |
Posted on 06-06-2019 07:53
|
|
Member Location: western Bohemia Posts: 1302 Joined: 30.05.09 |
Pallopteridae: Toxoneura quinquemaculata. Libor |
|
|
|
| Mucha Fero |
Posted on 06-06-2019 08:57
|
|
Member Location: Posts: 8428 Joined: 27.09.10 |
Libor thank you very much. |
|
|
|
| Jump to Forum: |















