Diptera.info :: Identification queries :: Diptera (adults)
Who is here? 1 guest(s)
|
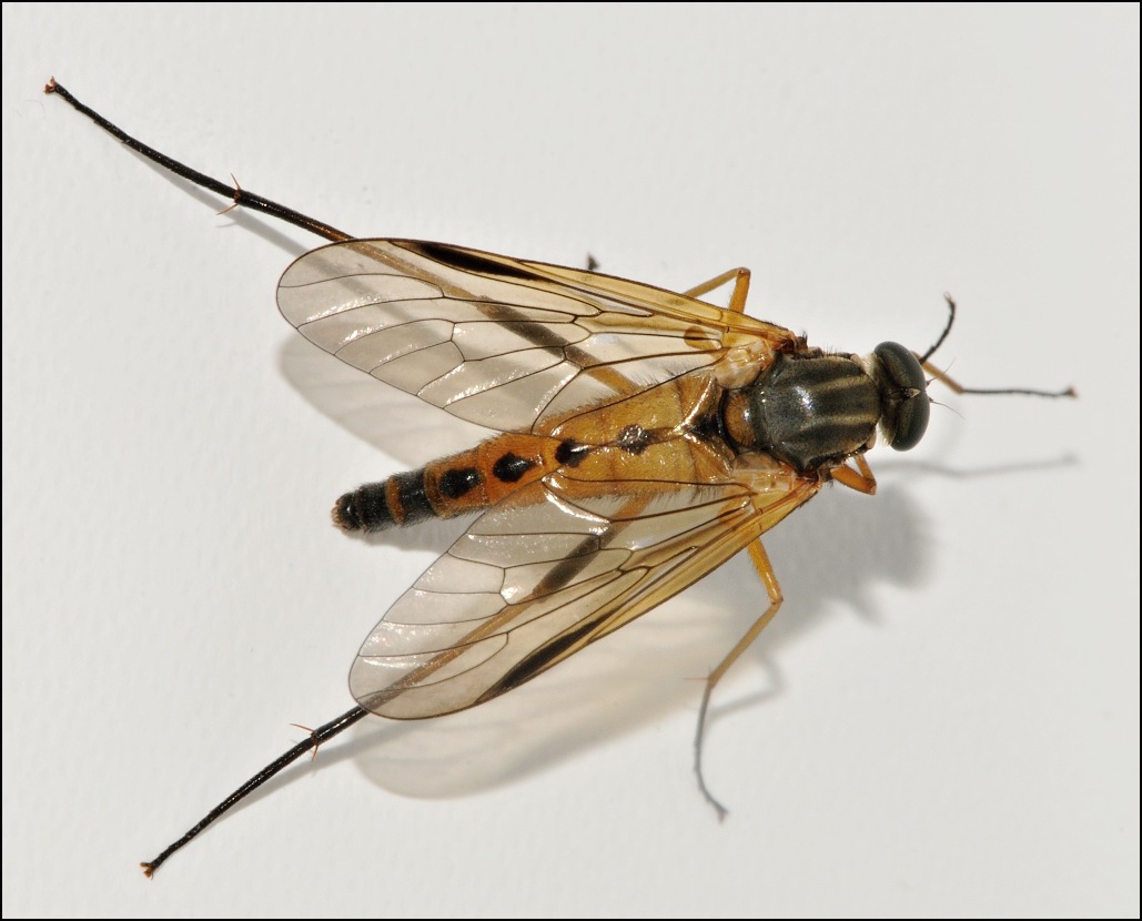
Rhagio sp? (Rhagio sp.(male)
|
|
| Mucha Fero |
Posted on 06-02-2012 06:09
|
|
Member Location: Posts: 8424 Joined: 27.09.10 |
Rhagio sp.(male) is correct? Region Malá Fatra Terchová about 700 m above sea level. Thank you very much for your help. I made a photo of 12.06.2011.
Mucha Fero attached the following image: ![]() [179.41Kb] Edited by Mucha Fero on 07-02-2012 08:18 |
|
|
|
| Mucha Fero |
Posted on 06-02-2012 06:09
|
|
Member Location: Posts: 8424 Joined: 27.09.10 |
[quote]Mucha Fero wrote:
Mucha Fero attached the following image: ![]() [186.8Kb] |
|
|
|
| Jump to Forum: |














