Diptera.info :: Identification queries :: Diptera (adults)
|
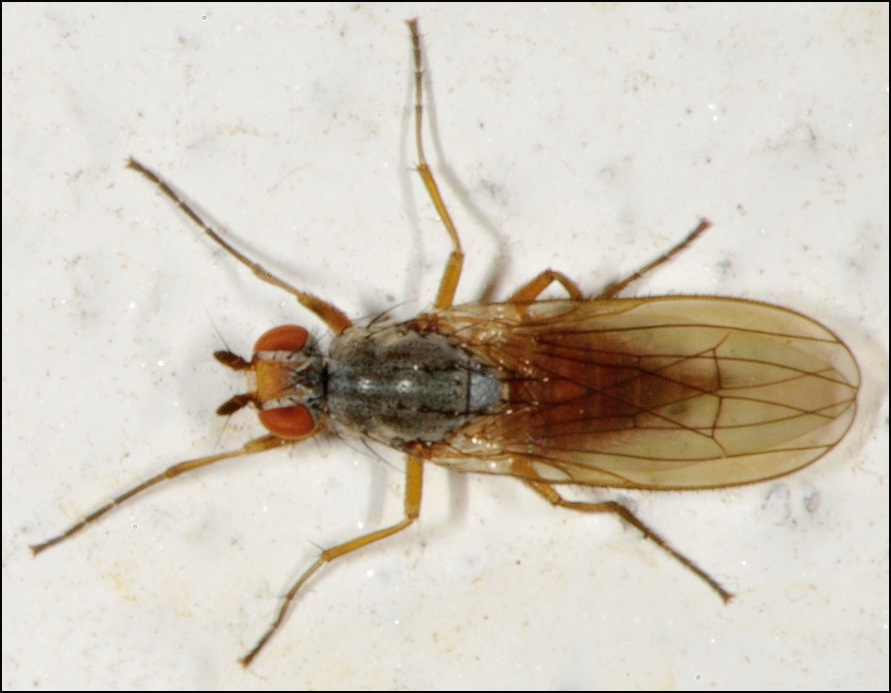
Tephrochlamys tarsalis? (Tephrochlamys cf. tarsalis)
|
|
| Mucha Fero |
Posted on 29-11-2011 07:04
|
|
Member Location: Posts: 8424 Joined: 27.09.10 |
Tephrochlamys tarsalis(female) is the correct name? Thank you very much. Slovak Republik, Terchová region on the Malá Fatra, Siding a house 524 m to the sea 28.11.2011.
Mucha Fero attached the following image: ![]() [188.44Kb] Edited by Mucha Fero on 01-12-2011 07:54 |
|
|
|
| Mucha Fero |
Posted on 29-11-2011 07:05
|
|
Member Location: Posts: 8424 Joined: 27.09.10 |
[quote]Mucha Fero wrote:
Mucha Fero attached the following image: ![]() [181.1Kb] |
|
|
|
| Jump to Forum: |














