Diptera.info :: Identification queries :: Diptera (adults)
|
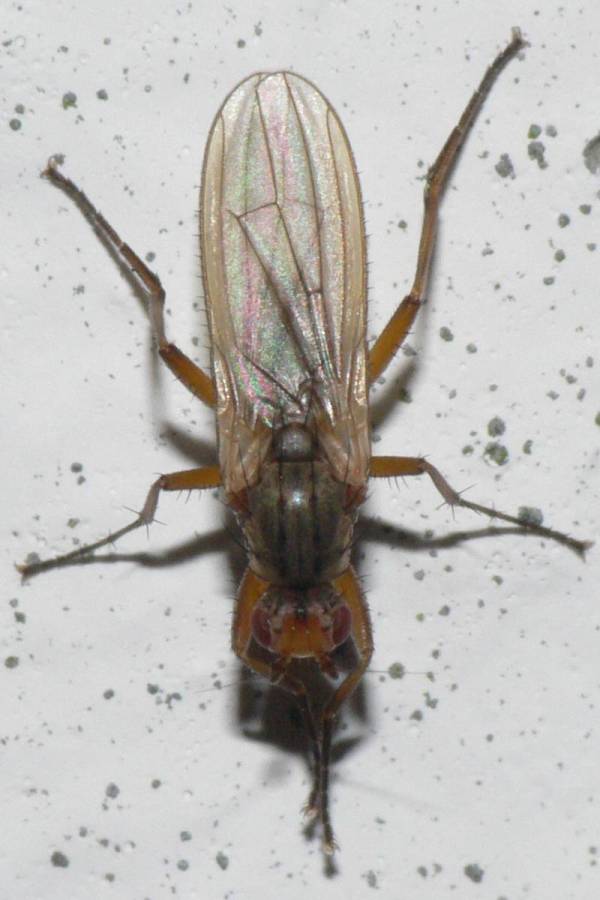
Heleomyzidae from 18.11.11: Eccoptomera microps? --> confirmed
|
|
| Juergen Peters |
Posted on 20-11-2011 14:00
|
|
Member Location: northwest Germany Posts: 14435 Joined: 11.09.04 |
Hello! This one measured about 5 mm. At night at housewall (northwest Germany). Juergen Peters attached the following image: ![]() [44.71Kb] Edited by Juergen Peters on 04-12-2011 18:17 Best regards, Jürgen -=-=-=-=-=-=-=-=-=-=-=-=-=-=-=-= Juergen Peters Borgholzhausen, Germany WWW: http://insektenfo... -=-=-=-=-=-=-=-=-=-=-=-=-=-=-=-= |
| Juergen Peters |
Posted on 20-11-2011 14:01
|
|
Member Location: northwest Germany Posts: 14435 Joined: 11.09.04 |
Pic #2
Juergen Peters attached the following image: ![]() [47Kb] Best regards, Jürgen -=-=-=-=-=-=-=-=-=-=-=-=-=-=-=-= Juergen Peters Borgholzhausen, Germany WWW: http://insektenfo... -=-=-=-=-=-=-=-=-=-=-=-=-=-=-=-= |
| Juergen Peters |
Posted on 25-11-2011 14:24
|
|
Member Location: northwest Germany Posts: 14435 Joined: 11.09.04 |
Genus ok?
Best regards, Jürgen -=-=-=-=-=-=-=-=-=-=-=-=-=-=-=-= Juergen Peters Borgholzhausen, Germany WWW: http://insektenfo... -=-=-=-=-=-=-=-=-=-=-=-=-=-=-=-= |
| Juergen Peters |
Posted on 02-12-2011 16:07
|
|
Member Location: northwest Germany Posts: 14435 Joined: 11.09.04 |
Hello! Last try (before I post some new Heleomyzidae... ).
Best regards, Jürgen -=-=-=-=-=-=-=-=-=-=-=-=-=-=-=-= Juergen Peters Borgholzhausen, Germany WWW: http://insektenfo... -=-=-=-=-=-=-=-=-=-=-=-=-=-=-=-= |
| Andrzej |
Posted on 02-12-2011 23:05
|
|
Member Location: Poland Posts: 2433 Joined: 05.01.06 |
E. microps !
dr. A. J. Woznica, Institute of Environmental Biology, Wroclaw University of Environmental & Life Sciences |
|
|
|
| Juergen Peters |
Posted on 04-12-2011 18:16
|
|
Member Location: northwest Germany Posts: 14435 Joined: 11.09.04 |
Andrzej wrote: E. microps ! Fine! Thank you, Andrzej! Best regards, Jürgen -=-=-=-=-=-=-=-=-=-=-=-=-=-=-=-= Juergen Peters Borgholzhausen, Germany WWW: http://insektenfo... -=-=-=-=-=-=-=-=-=-=-=-=-=-=-=-= |
| Jump to Forum: |
















).