Diptera.info :: Identification queries :: Diptera (adults)
Who is here? 1 guest(s)
|
Tachypeza nubila? (Platypalpus sp.)
|
|
| Mucha Fero |
Posted on 15-11-2011 05:43
|
|
Member Location: Posts: 8424 Joined: 27.09.10 |
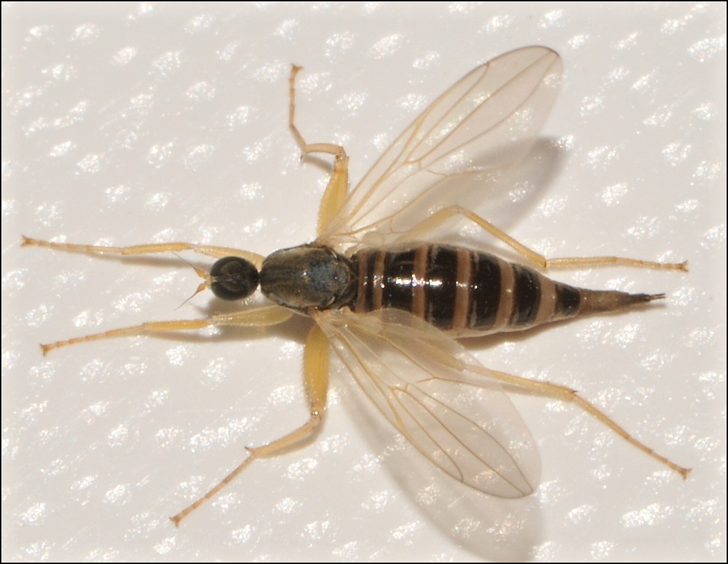
Tachypeza nubila is the correct name? Thank you very much. Slovak Republik, Terchová region on the Malá Fatra, approximately 700 m above sea level 16.06.2011.
Mucha Fero attached the following image: ![]() [194.24Kb] Edited by Mucha Fero on 15-11-2011 18:51 |
|
|
|
| Mucha Fero |
Posted on 15-11-2011 05:44
|
|
Member Location: Posts: 8424 Joined: 27.09.10 |
[quote]Mucha Fero wrote:
Mucha Fero attached the following image: ![]() [194.27Kb] |
|
|
|
| Mucha Fero |
Posted on 15-11-2011 05:48
|
|
Member Location: Posts: 8424 Joined: 27.09.10 |
Mucha Fero wrote:
[quote]Mucha Fero wrote: Mucha Fero attached the following image: ![]() [181.55Kb] |
|
|
|
| Rui Andrade |
Posted on 15-11-2011 05:52
|
|
Member Location: Portugal Posts: 3123 Joined: 19.06.07 |
Platypalpus sp. |
| Mucha Fero |
Posted on 15-11-2011 18:50
|
|
Member Location: Posts: 8424 Joined: 27.09.10 |
Rui Andrade wrote: Platypalpus sp. Thank you very much. |
|
|
|
| Jump to Forum: |
















