Diptera.info :: Identification queries :: Diptera (adults)
Who is here? 1 guest(s)
|
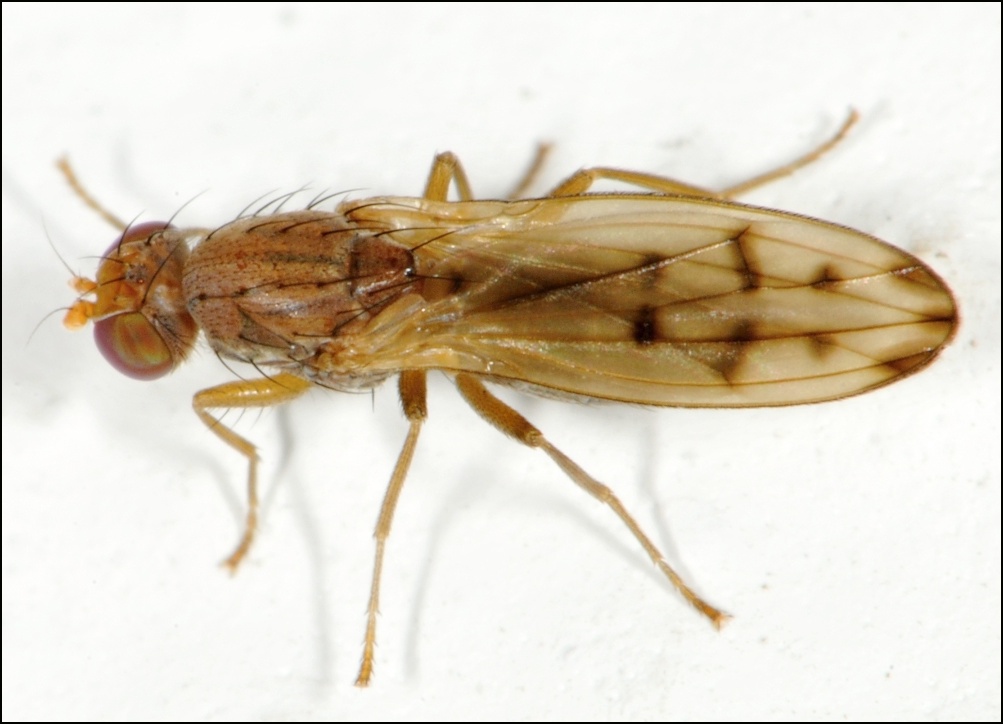
Tetanocera arrogans? (Opomyza florum(female)
|
|
| Mucha Fero |
Posted on 31-10-2011 05:10
|
|
Member Location: Posts: 8424 Joined: 27.09.10 |
Tetanocera arrogans (male) is the correct name? Thank you very much. Slovak Republik, Terchová region on the Malá Fatra, approximately 700 m above sea level 29.10.2011.
Mucha Fero attached the following image: ![]() [190.04Kb] Edited by Mucha Fero on 04-11-2011 18:39 |
|
|
|
| Mucha Fero |
Posted on 31-10-2011 05:11
|
|
Member Location: Posts: 8424 Joined: 27.09.10 |
[quote]Mucha Fero wrote:
Mucha Fero attached the following image: ![]() [172.16Kb] |
|
|
|
| Mucha Fero |
Posted on 31-10-2011 05:11
|
|
Member Location: Posts: 8424 Joined: 27.09.10 |
Mucha Fero wrote:
[quote]Mucha Fero wrote: Mucha Fero attached the following image: ![]() [177.88Kb] |
|
|
|
| Frank Marquard |
Posted on 31-10-2011 17:22
|
|
Member Location: Germany Posts: 235 Joined: 06.09.08 |
Not a Sciomyzidae, i think, its a Opomyza sp. (Opomyzidae)? Frank |
|
|
|
| Juergen Peters |
Posted on 31-10-2011 18:30
|
|
Member Location: northwest Germany Posts: 14426 Joined: 11.09.04 |
Frank Marquard wrote: Opomyza sp. (Opomyzidae)? I think, Opomyza florum. But Jan Willem has the last word...
Best regards, Jürgen -=-=-=-=-=-=-=-=-=-=-=-=-=-=-=-= Juergen Peters Borgholzhausen, Germany WWW: http://insektenfo... -=-=-=-=-=-=-=-=-=-=-=-=-=-=-=-= |
| Mucha Fero |
Posted on 01-11-2011 03:50
|
|
Member Location: Posts: 8424 Joined: 27.09.10 |
Frank Marquard wrote: Not a Sciomyzidae, i think, its a Opomyza sp. (Opomyzidae)? Frank Frank thank you very much. |
|
|
|
| Mucha Fero |
Posted on 01-11-2011 03:50
|
|
Member Location: Posts: 8424 Joined: 27.09.10 |
Juergen Peters wrote: Frank Marquard wrote: Opomyza sp. (Opomyzidae)? I think, Opomyza florum. But Jan Willem has the last word... ![]() Peters thank you very much. |
|
|
|
| Jan Willem |
Posted on 01-11-2011 13:32
|
|
Member Location: Waalwijk, The Netherlands Posts: 2170 Joined: 24.07.04 |
Juergen is completely right. He has a lot of experience with this species and knows it very well. All I can add is that's it's a female
Jan Willem van Zuijlen |
|
|
|
| Mucha Fero |
Posted on 04-11-2011 18:40
|
|
Member Location: Posts: 8424 Joined: 27.09.10 |
Jan Willem wrote: Juergen is completely right. He has a lot of experience with this species and knows it very well. All I can add is that's it's a female ![]() Thank you very much. |
|
|
|
| Jump to Forum: |
















