Diptera.info :: Identification queries :: Diptera (adults)
Who is here? 1 guest(s)
|
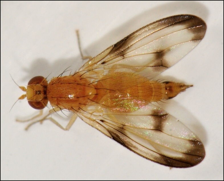
2_Lauxaniidae_ID? (Palloptera trimacula)
|
|
| Mucha Fero |
Posted on 22-08-2011 04:41
|
|
Member Location: Posts: 8424 Joined: 27.09.10 |
What kind of Lauxaniidae this flies. Slovak Republic, Malá Fatra-Terchová, approximately 700 m above sea level. Thank you very much for your help. Best regards! Fote date: 20.08.2011.
Mucha Fero attached the following image: ![]() [179.84Kb] Edited by Mucha Fero on 22-08-2011 16:06 |
|
|
|
| Mucha Fero |
Posted on 22-08-2011 04:41
|
|
Member Location: Posts: 8424 Joined: 27.09.10 |
[quote]Mucha Fero wrote:
Mucha Fero attached the following image: ![]() [171.25Kb] |
|
|
|
| Mark-uk |
Posted on 22-08-2011 09:14
|
|
Member Location: UK - Hampshire Posts: 792 Joined: 01.02.10 |
Pallopteridae |
|
|
|
| Paul Beuk |
Posted on 22-08-2011 10:24
|
|
Super Administrator Location: Netherlands Posts: 19403 Joined: 11.05.04 |
Would that be Palloptera trimacula?
Paul - - - - Paul Beuk on https://diptera.info |
| Mucha Fero |
Posted on 22-08-2011 16:06
|
|
Member Location: Posts: 8424 Joined: 27.09.10 |
Mark-uk wrote: Pallopteridae Mark thank you very much. |
|
|
|
| Mucha Fero |
Posted on 22-08-2011 16:07
|
|
Member Location: Posts: 8424 Joined: 27.09.10 |
Paul Beuk wrote: Would that be Palloptera trimacula? Paul thank you very much. |
|
|
|
| Jump to Forum: |















