Diptera.info :: Identification queries :: Diptera (adults)
Who is here? 1 guest(s)
|
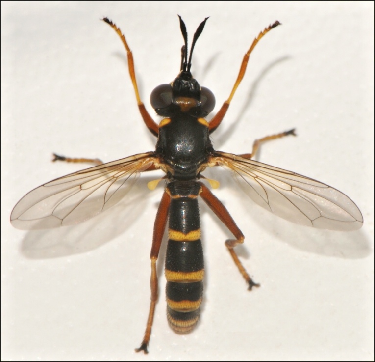
2_Syrphidae_ID? (Conops quadrifasciatus (female)
|
|
| Mucha Fero |
Posted on 06-08-2011 04:44
|
|
Member Location: Posts: 8424 Joined: 27.09.10 |
What kind of Syrphidae this flies. Slovak Republic, Malá Fatra-Terchová, approximately 700 m above sea level. Thank you very much for your help. Best regards! Fote date: 03.08.2011.
Mucha Fero attached the following image: ![]() [176.96Kb] Edited by Mucha Fero on 17-10-2011 20:34 |
|
|
|
| Mucha Fero |
Posted on 06-08-2011 04:44
|
|
Member Location: Posts: 8424 Joined: 27.09.10 |
[quote]Mucha Fero wrote:
Mucha Fero attached the following image: ![]() [181.37Kb] |
|
|
|
| Jeroen K |
Posted on 06-08-2011 09:39
|
|
Member Location: Kapellen, Belgium Posts: 1141 Joined: 03.04.09 |
I think this is Leopoldius sp. (Conopidae). |
|
|
|
| Mucha Fero |
Posted on 06-08-2011 10:56
|
|
Member Location: Posts: 8424 Joined: 27.09.10 |
Jeroen K wrote: I think this is Leopoldius sp. (Conopidae). Jeroen thank you very much. |
|
|
|
| David Clements |
Posted on 16-10-2011 22:25
|
|
Member Location: Cardiff, UK Posts: 80 Joined: 21.04.07 |
Leopoldius brevirostris female, I think. |
|
|
|
| Gerard Pennards |
Posted on 17-10-2011 20:01
|
|
Member Location: Amersfoort Posts: 1914 Joined: 07.06.04 |
Come on guys, look carefully! It has a long proboscis, so for sure a Conops, probably something like quadrifasciatus or so. Greetings, Greetings, Gerard Pennards |
|
|
|
| Mucha Fero |
Posted on 17-10-2011 20:35
|
|
Member Location: Posts: 8424 Joined: 27.09.10 |
David Clements wrote: Leopoldius brevirostris female, I think. David thank you very much. |
|
|
|
| Mucha Fero |
Posted on 17-10-2011 20:36
|
|
Member Location: Posts: 8424 Joined: 27.09.10 |
Gerard Pennards wrote: Come on guys, look carefully! It has a long proboscis, so for sure a Conops, probably something like quadrifasciatus or so. Greetings, Gerard thank you very much. |
|
|
|
| David Clements |
Posted on 18-10-2011 19:37
|
|
Member Location: Cardiff, UK Posts: 80 Joined: 21.04.07 |
Whoops! Quite right Gerard! Serves me right for not looking closely enough. Conops quadrifasciatus, probably ![]() |
|
|
|
| Jump to Forum: |















