Diptera.info :: Identification queries :: Diptera (adults)
Who is here? 1 guest(s)
|
Tipulidae > Tipula vernalis
|
|
| blowave |
Posted on 07-06-2011 13:30
|
|
Member Location: LINCOLN, UK Posts: 3151 Joined: 27.06.07 |
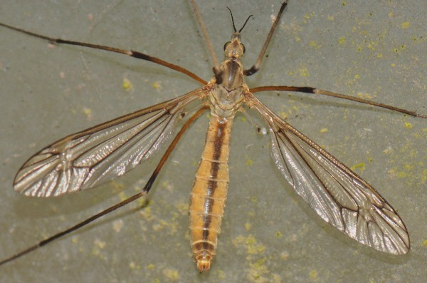
Hello, I have run this through the key and came up with Tipula pruinosa in the subgenus Yamatotipula. Can anyone confirm it, there is nothing at all on this site for this species. 9th May, near Lincoln UK. Janet blowave attached the following image: ![]() [82.73Kb] Edited by blowave on 07-06-2011 21:08 http://cubits.org... |
| blowave |
Posted on 07-06-2011 13:30
|
|
Member Location: LINCOLN, UK Posts: 3151 Joined: 27.06.07 |
pic 2
blowave attached the following image: ![]() [84.73Kb] http://cubits.org... |
| blowave |
Posted on 07-06-2011 13:31
|
|
Member Location: LINCOLN, UK Posts: 3151 Joined: 27.06.07 |
pic 3
blowave attached the following image: ![]() [103.78Kb] http://cubits.org... |
| blowave |
Posted on 07-06-2011 13:31
|
|
Member Location: LINCOLN, UK Posts: 3151 Joined: 27.06.07 |
pic 4
blowave attached the following image: ![]() [87.82Kb] http://cubits.org... |
| blowave |
Posted on 07-06-2011 13:32
|
|
Member Location: LINCOLN, UK Posts: 3151 Joined: 27.06.07 |
pic 5
blowave attached the following image: ![]() [82.09Kb] http://cubits.org... |
| Chen Young |
Posted on 07-06-2011 18:36
|
|
Member Location: Pittsburgh, PENNSYLVANIA USA Posts: 169 Joined: 25.08.05 |
Don't know the species for sure, but the image shows a form of oviposites in species of Tipula (Lunatipula) .
Chen Young |
| blowave |
Posted on 07-06-2011 19:28
|
|
Member Location: LINCOLN, UK Posts: 3151 Joined: 27.06.07 |
Chen Young wrote: Don't know the species for sure, but the image shows a form of oviposites in species of Tipula (Lunatipula) . Thanks for the lead Chen. This is a female, I had thought the abdomen was the wrong shape for a male but I didn't know females could have a double ovipositor! It would then be either Tipula vernalis or T. fascipennis. For T. vernalis "cerci blunt", the drawing looks the correct shape in the side view but it also states "wings streaky". For T. fascipennis the cerci looks much narrower in the side view, and is "pointed". "Wings clear faint greyish with a white bar below stigma to hind margin of wing." The drawing of the cerci should make it Tipula vernalis, the rest I can't make out! The shape of the cerci should be the best clue? http://cubits.org... |
| Chen Young |
Posted on 07-06-2011 20:39
|
|
Member Location: Pittsburgh, PENNSYLVANIA USA Posts: 169 Joined: 25.08.05 |
I would go for Tipula vernalis .
Chen Young |
| blowave |
Posted on 07-06-2011 21:08
|
|
Member Location: LINCOLN, UK Posts: 3151 Joined: 27.06.07 |
Chen Young wrote: I would go for Tipula vernalis . Me too! Thanks!
http://cubits.org... |
| clovis |
Posted on 19-06-2011 19:38
|
|
Member Location: North France, lille Posts: 940 Joined: 08.06.10 |
I can confirm T vernalis ![]() |
|
|
|
| blowave |
Posted on 19-06-2011 23:51
|
|
Member Location: LINCOLN, UK Posts: 3151 Joined: 27.06.07 |
clovis wrote: I can confirm T vernalis ![]() Thanks clovis, good to have another positive! It's just as well too, I submitted some photos for the gallery a couple of days ago!
http://cubits.org... |
| Jump to Forum: |



















