Diptera.info :: Identification queries :: Diptera (adults)
|
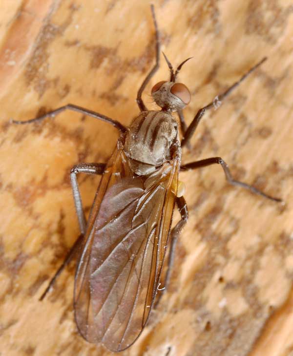
Empididae ID -> Rhamphomyia sulcatina
|
|
| Pentti Ketola |
Posted on 02-06-2011 09:39
|
|
Member Location: Posts: 5026 Joined: 04.02.10 |
I take the photo on 2 June 2011 Kokkola, Finland. Pentti Pentti Ketola attached the following image: ![]() [37.38Kb] Edited by Pentti Ketola on 11-12-2012 06:28 |
| Pentti Ketola |
Posted on 02-06-2011 09:40
|
|
Member Location: Posts: 5026 Joined: 04.02.10 |
Size 7mm.
Pentti Ketola attached the following image: ![]() [30.75Kb] |
| Pentti Ketola |
Posted on 02-06-2011 10:31
|
|
Member Location: Posts: 5026 Joined: 04.02.10 |
Could it be a female of Empis borealis? Pentti |
| Paul Beuk |
Posted on 02-06-2011 12:06
|
|
Super Administrator Location: Netherlands Posts: 19403 Joined: 11.05.04 |
Nope, it is Rhamphomyia but there are too many northern Scandinavian ones I have no experience with.
Paul - - - - Paul Beuk on https://diptera.info |
| Pentti Ketola |
Posted on 02-06-2011 12:59
|
|
Member Location: Posts: 5026 Joined: 04.02.10 |
Thanks Paul! Maybe (R. plumipes, R. sulcatina) Regards |
| Paul Beuk |
Posted on 07-02-2012 11:52
|
|
Super Administrator Location: Netherlands Posts: 19403 Joined: 11.05.04 |
Now having seen R. trilineata (=R. sulcatina) in the material that Jari sent to me for identification I am confident that the above pictures are of that species. In his material I also saw plumipes but that one could already be discounted because it has (as implied by the name) plumose legs.
Edited by Paul Beuk on 07-02-2012 12:04 Paul - - - - Paul Beuk on https://diptera.info |
| Pentti Ketola |
Posted on 07-02-2012 13:08
|
|
Member Location: Posts: 5026 Joined: 04.02.10 |
Thank you Paul! Pentti |
| Jump to Forum: |















