Diptera.info :: Identification queries :: Diptera (adults)
Who is here? 1 guest(s)
|
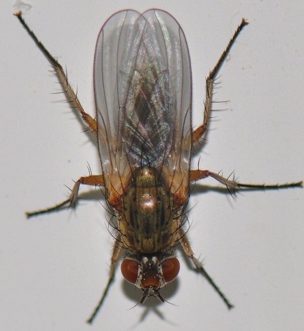
Anthomyiidae Hydrophoria linogrisea? female
|
|
| blowave |
Posted on 27-03-2011 02:16
|
|
Member Location: LINCOLN, UK Posts: 3151 Joined: 27.06.07 |
Hi! Is this correct? I had this one last year in April (ID'd by Joke), this one was inside on 26th March 2011. Near Lincoln UK. Janet blowave attached the following image: ![]() [92.92Kb] http://cubits.org... |
| blowave |
Posted on 27-03-2011 02:17
|
|
Member Location: LINCOLN, UK Posts: 3151 Joined: 27.06.07 |
pic 2
blowave attached the following image: ![]() [100.75Kb] http://cubits.org... |
| blowave |
Posted on 27-03-2011 02:18
|
|
Member Location: LINCOLN, UK Posts: 3151 Joined: 27.06.07 |
pic 3
blowave attached the following image: ![]() [131.04Kb] http://cubits.org... |
| javanerkelens |
Posted on 27-03-2011 11:50
|
|
Member Location: Netherlands Posts: 2962 Joined: 18.10.07 |
Correct ! |
|
|
|
| blowave |
Posted on 27-03-2011 12:47
|
|
Member Location: LINCOLN, UK Posts: 3151 Joined: 27.06.07 |
Thanks Joke!
http://cubits.org... |
| Jump to Forum: |
















