Diptera.info :: Identification queries :: Diptera (adults)
Who is here? 1 guest(s)
|
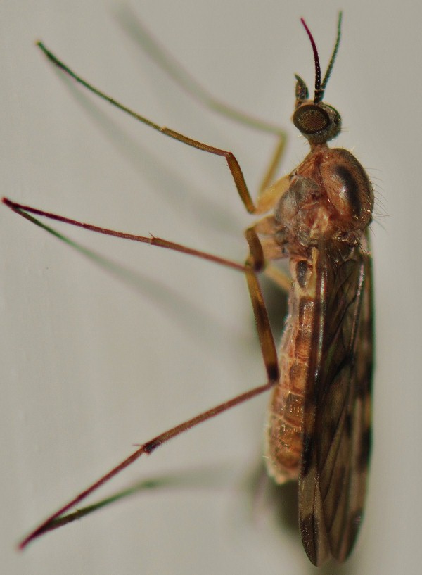
Anisopodidae Sylvicola cinctus female?
|
|
| blowave |
Posted on 10-03-2011 18:54
|
|
Member Location: LINCOLN, UK Posts: 3151 Joined: 27.06.07 |
Hi! Taken on 25th May 2010, inside, near Lincoln UK. Is this possible to say for sure? 3 pics Janet
blowave attached the following image: ![]() [135.44Kb] http://cubits.org... |
| blowave |
Posted on 10-03-2011 18:54
|
|
Member Location: LINCOLN, UK Posts: 3151 Joined: 27.06.07 |
pic 2
blowave attached the following image: ![]() [143.11Kb] http://cubits.org... |
| blowave |
Posted on 10-03-2011 18:55
|
|
Member Location: LINCOLN, UK Posts: 3151 Joined: 27.06.07 |
pic 3
blowave attached the following image: ![]() [106.95Kb] http://cubits.org... |
| Jump to Forum: |
















