Diptera.info :: Identification queries :: Diptera (adults)
|
Heleomyzidae on snow #2 (04.01.11)
|
|
| Juergen Peters |
Posted on 04-01-2011 18:05
|
|
Member Location: northwest Germany Posts: 14423 Joined: 11.09.04 |
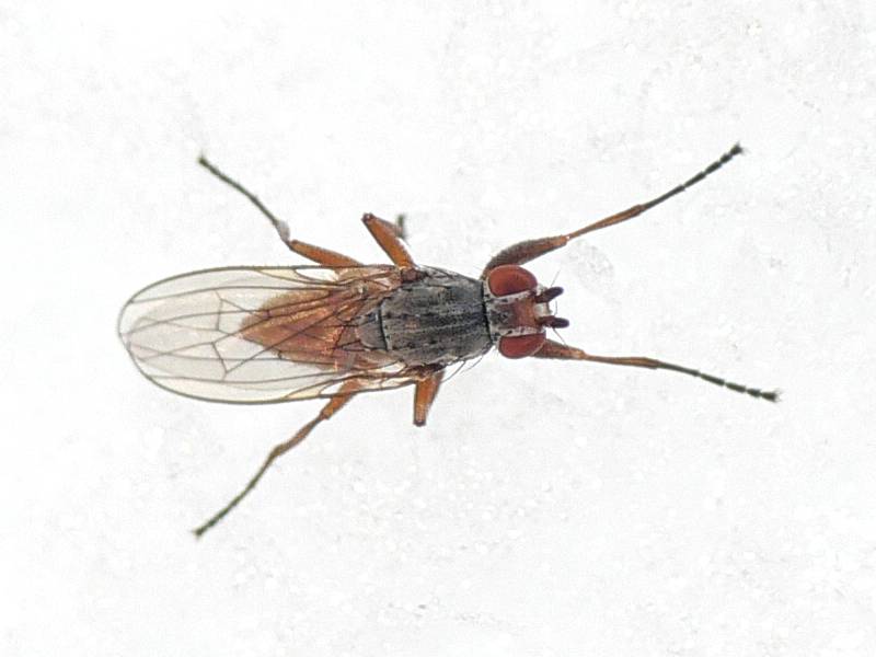
Hello! Three flies (different individuals) of about 4.5-5 mm on snow at the forest today (northwest Germany). All Tephrochlamys sp.? Juergen Peters attached the following image: ![]() [35.61Kb] Best regards, Jürgen -=-=-=-=-=-=-=-=-=-=-=-=-=-=-=-= Juergen Peters Borgholzhausen, Germany WWW: http://insektenfo... -=-=-=-=-=-=-=-=-=-=-=-=-=-=-=-= |
| Juergen Peters |
Posted on 04-01-2011 18:06
|
|
Member Location: northwest Germany Posts: 14423 Joined: 11.09.04 |
Second one.
Juergen Peters attached the following image: ![]() [32.58Kb] Best regards, Jürgen -=-=-=-=-=-=-=-=-=-=-=-=-=-=-=-= Juergen Peters Borgholzhausen, Germany WWW: http://insektenfo... -=-=-=-=-=-=-=-=-=-=-=-=-=-=-=-= |
| Juergen Peters |
Posted on 04-01-2011 18:06
|
|
Member Location: northwest Germany Posts: 14423 Joined: 11.09.04 |
Third one.
Juergen Peters attached the following image: ![]() [46.33Kb] Best regards, Jürgen -=-=-=-=-=-=-=-=-=-=-=-=-=-=-=-= Juergen Peters Borgholzhausen, Germany WWW: http://insektenfo... -=-=-=-=-=-=-=-=-=-=-=-=-=-=-=-= |
| rvanderweele |
Posted on 04-01-2011 18:25
|
|
Member Location: Leiden, the Netherlands Posts: 1988 Joined: 01.11.06 |
Jürgen, they are Tephrochlamys species, so also in the other post. If Andrzej is not earlier on line, I will check later, when I am in my study, which species.
ruud van der weele rvanderweele@gmail.com |
|
|
|
| rvanderweele |
Posted on 04-01-2011 18:54
|
|
Member Location: Leiden, the Netherlands Posts: 1988 Joined: 01.11.06 |
Andzrej, do I see it correctly that the tip of the scutellum is yellowish? Then flavipes, right?
ruud van der weele rvanderweele@gmail.com |
|
|
|
| Juergen Peters |
Posted on 04-01-2011 19:23
|
|
Member Location: northwest Germany Posts: 14423 Joined: 11.09.04 |
rvanderweele wrote: Jürgen, they are Tephrochlamys species, so also in the other post. Many thanks, Ruud. Best regards, Jürgen -=-=-=-=-=-=-=-=-=-=-=-=-=-=-=-= Juergen Peters Borgholzhausen, Germany WWW: http://insektenfo... -=-=-=-=-=-=-=-=-=-=-=-=-=-=-=-= |
| Jump to Forum: |
















