Diptera.info :: Identification queries :: Diptera (adults)
Who is here? 1 guest(s)
|
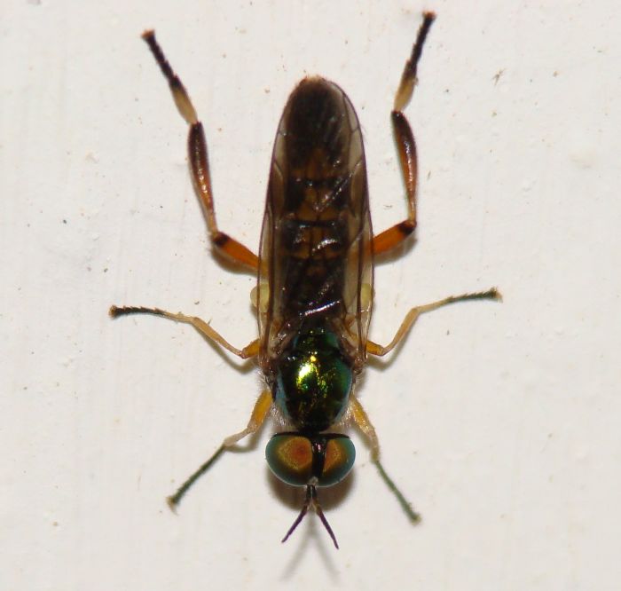
Chorisops tibialis
|
|
| valter |
Posted on 25-10-2010 22:08
|
|
Member Location: Faro, Portugal Posts: 1998 Joined: 09.07.07 |
Location: Algarve, Portugal Date: October 2010 Thanks, Valter valter attached the following image: ![]() [51.85Kb] Edited by valter on 25-10-2010 22:31 |
| Stephen R |
Posted on 25-10-2010 22:14
|
|
Member Location: Clitheroe Lancashire UK Posts: 2396 Joined: 12.06.09 |
Stratiomyidae. Maybe Chorisops tibialis?. |
|
|
|
| Paul Beuk |
Posted on 25-10-2010 22:28
|
|
Super Administrator Location: Netherlands Posts: 19403 Joined: 11.05.04 |
yeah
Paul - - - - Paul Beuk on https://diptera.info |
| valter |
Posted on 25-10-2010 22:31
|
|
Member Location: Faro, Portugal Posts: 1998 Joined: 09.07.07 |
Thanks ![]() |
| Jump to Forum: |















