Diptera.info :: Identification queries :: Diptera (adults)
Who is here? 1 guest(s)
|
Tephritidae CZ - adult from pupa - Tephritis bardanae
|
|
| Miroslav Fiala |
Posted on 19-10-2010 12:44
|
|
Member Location: Czech Republic Posts: 244 Joined: 12.02.09 |
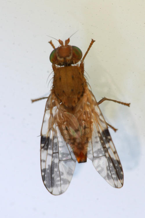
Hello forum, can anybody help with this specimen, August 2010 in Czech Republic, middle Moravia, Prerov Thanks for help with ID. MF Miroslav Fiala attached the following image: ![]() [79.5Kb] Edited by Miroslav Fiala on 20-10-2010 09:44 |
|
|
|
| Miroslav Fiala |
Posted on 19-10-2010 12:45
|
|
Member Location: Czech Republic Posts: 244 Joined: 12.02.09 |
2
Miroslav Fiala attached the following image: ![]() [44.86Kb] |
|
|
|
| Nosferatumyia |
Posted on 19-10-2010 13:23
|
|
Member Location: Posts: 3575 Joined: 28.12.07 |
Dear Miroslav, It could be either a teneral Tephritis bardanae (yellow body is not characteristical for that genus at all) or a teneral Xyphosia miliaria female (fresh wing pattern remains gray until full sclerotization). If you could tell, what host plant flower head it is from (Cirsium or Arctium), it could ensure this ID. My primary guess is Xyphosia, but with reservations. Do you have any pictures of mature fly? Ahoj, Valery Edited by Nosferatumyia on 19-10-2010 13:24 Val |
|
|
|
| Miroslav Fiala |
Posted on 19-10-2010 13:35
|
|
Member Location: Czech Republic Posts: 244 Joined: 12.02.09 |
Ahoj Valery, many thanks for your answer. I haven't better photo of adult. Host plant was Arctium with sure. MF |
|
|
|
| Nosferatumyia |
Posted on 19-10-2010 18:24
|
|
Member Location: Posts: 3575 Joined: 28.12.07 |
Then a teneral (and therefore yellow, -- yellow tomentose thorax as usually) Tephritis bardanae Schrank, for the wing pattern shape is typical for it.
Val |
|
|
|
| Miroslav Fiala |
Posted on 20-10-2010 09:46
|
|
Member Location: Czech Republic Posts: 244 Joined: 12.02.09 |
Many thanks Valery. At home I found one next photo, may be not the same specimen but from the same flower. MF Miroslav Fiala attached the following image: ![]() [48.97Kb] |
|
|
|
| Jump to Forum: |















