Gallery Links
Users Online
· Guests Online: 49

· Members Online: 0

· Total Members: 5,092
· Newest Member: LV
Forum Threads
Theme Switcher
Switch to:
Last Seen Users
· weia< 5 mins
· smol< 5 mins
· Andy Beaumont01:02:07
· ESant01:26:30
· Juergen Peters02:22:03
· piros04:40:39
· Siegfried Ru...05:31:26
· Reimund Ley05:46:08
· Carnifex06:02:11
· eklans06:11:32
Latest Photo Additions
View Thread
Diptera.info :: Identification queries :: Diptera (adults)
 Print Thread
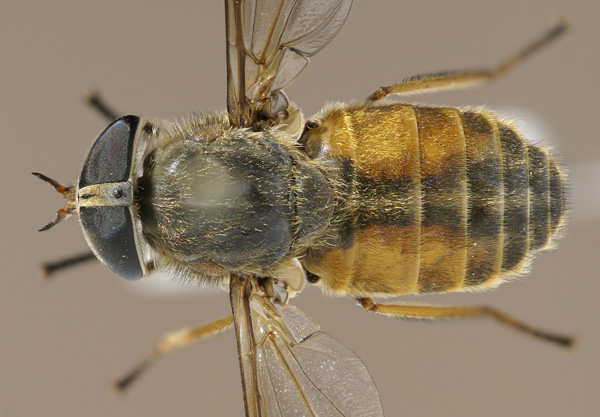
Sardinia Tabanidae Hybomitra ciureai ?
sd
#1 Print Post
Posted on 25-07-2010 13:24
Member

Location: Suffolk, UK
Posts: 893
Joined: 11.10.07

Coastal lagoons, Oristano, Sardinia
21st May 2010, size 14mm
Eyes in life- dark green/brown, 3 bands
Reddish antennae, narrow frons suggests Hybomitra ciureai

Neither Fauna Europaea nor Fauna Italia list any Hybomitra sp. for Sardinia, though ciureai would be expected I think? H. longipalpis (Kröber, 1923)is listed for Sicily on the Fauna Italia site but I cannot find a description or key for this species (any tips, Theo!? )
sd attached the following image:


[109.85Kb]
 
sd
#2 Print Post
Posted on 25-07-2010 13:26
Member

Location: Suffolk, UK
Posts: 893
Joined: 11.10.07

..
sd attached the following image:


[93.82Kb]
 
Zeegers
#3 Print Post
Posted on 25-07-2010 20:04
Member

Location: Soest, NL
Posts: 19299
Joined: 21.07.04

SD, you are doing excellent !!

Ciureai it is.

Longipalpis Krober is a spooky species, the type is supposedly lost (bombing of Hamburg) and in my humble opinion it might even be a male of Tabanus bifarius (= tenuicornis sensu Chvala).

So follow the group and forget about longipalips.


Theo
 
Jump to Forum:
Similar Threads
Thread Forum Replies Last Post
Tabanidae sp.? -> Tabanus sp. Diptera (adults) 4 20-02-2026 15:32
Tabanidae, help id, please -> Chrysops caecutiens Diptera (eggs, larvae, pupae) 3 16-12-2025 10:45
Tabanidae, help id, please -> Hybomitra sp Diptera (eggs, larvae, pupae) 2 15-12-2025 19:24
Tabanidae, help id, please -> Hybomitra sp Diptera (eggs, larvae, pupae) 2 15-12-2025 19:23
Tabanidae, help id, please -> Hybomitra sp Diptera (eggs, larvae, pupae) 2 15-12-2025 19:23
Date and time
12 April 2026 15:47
Login
Username

Password



Not a member yet?
Click here to register.

Forgotten your password?
Request a new one here.
Temporary email?
Due to fact this site has functionality making use of your email address, any registration using a temporary email address will be rejected.

Paul
Donate
Please, help to make
Diptera.info
possible and enable
further improvements!
Latest Articles
Syrph the Net
Those who want to have access to the Syrph the Net database need to sign the
License Agreement -
Click to Download


Public files of Syrph the Net can be downloaded HERE

Last updated: 25.08.2011
Shoutbox
You must login to post a message.

20.02.26 13:31
Canada plans to eliminate the Diptera group at the CNC. See post in the News section of the main page.

18.02.26 09:33
Anyone have scans of the Genus Semaranga in: 1)Kanmiya, K. (1983) A systematic study of the Japanese Chloropidae (Diptera). 2) Andersson, H. (1977 Taxonomic and Phylogenetic studies on Chloropid

10.02.26 19:36
Hello Moumoule !

07.01.26 15:52
Pipunculidae from Mongolia! I am looking for specialist who is committed to ID these. There will be a lot of material coming from my expeditions.

06.12.25 21:37
He last posted here in April, identifying some Chloropidae.

04.12.25 20:02
Dr Michael von Tschirnhaus, a leading expert on Chloropidae and Agromyzidae, died on 16 September 2025 at the age of 86. He will be greatly missed by the international community. R.I.P.

03.12.25 12:46
Anyone has the scan of "Harkness, R. D.; Ismay, J. W. 1976: A new species of Trachysiphonella (Dipt., Chloropidae) from Greece, associated with an ant Cataglyphis bicolor (F.) (Hym., Formicidae)

01.12.25 22:29
I will try to fix the messages this month. We have to make some other configuration changes before software goes out of support at end of year.

29.11.25 21:57
I would prefer not to receive any more messages from diptera.info signed by Paul... (Thread reply notification)... Could they be signed by ‘The diptera.info team’?

19.11.25 12:31
It is with deepest sadness in my heart that I announce that on Saturday, November 15, one of the great minds of world dipterology, prof. Rudolf Rozkošny, left us forever. Please remember him with a

Render time: 0.97 seconds | 267,045,098 unique visits