Diptera.info :: Identification queries :: Diptera (adults)
|
Muscid with yellow calypters and reddish legs
|
|
| peterbolson |
Posted on 09-06-2010 10:59
|
|
Member Location: Cumbria, UK Posts: 276 Joined: 07.06.10 |
From woodland ride, female WL 9mm. My first thought was that this was Phaonia valida but I can't see any obvious pd seta on the hind tibia so I have doubts about it even being phaonia. The aristae are plumose but there is no hint of red or yellow on the antennae, which are entirely black. I'd be grateful for an ID. Peter peterbolson attached the following image: ![]() [49.01Kb] |
|
|
|
| peterbolson |
Posted on 09-06-2010 11:00
|
|
Member Location: Cumbria, UK Posts: 276 Joined: 07.06.10 |
side view
peterbolson attached the following image: ![]() [52.47Kb] |
|
|
|
| peterbolson |
Posted on 09-06-2010 11:00
|
|
Member Location: Cumbria, UK Posts: 276 Joined: 07.06.10 |
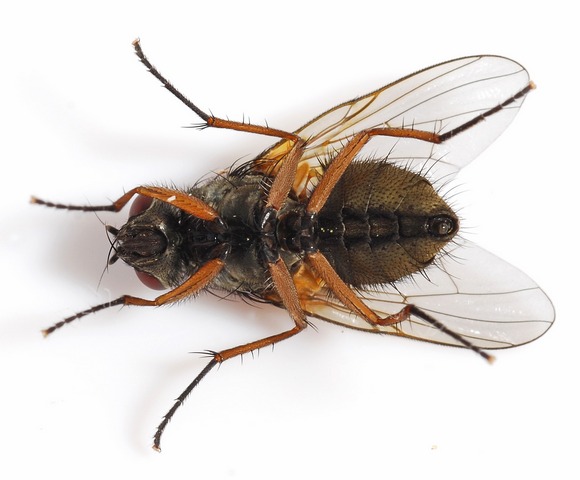
ventral view
peterbolson attached the following image: ![]() [62.68Kb] |
|
|
|
| Nikita Vikhrev |
Posted on 09-06-2010 12:25
|
|
Member Location: Moscow, Russia Posts: 9555 Joined: 24.05.05 |
I'd say Mydaea urbana Mg. If so, you should find setulae on radial node of wings, either on upper and lower sides. And fine setulae above hind coxa (not easy to find, some experience required). Nikita Vikhrev - Zool Museum of Moscow University |
|
|
|
| peterbolson |
Posted on 09-06-2010 13:29
|
|
Member Location: Cumbria, UK Posts: 276 Joined: 07.06.10 |
Thanks Nikita Excuse my ignorance, but are these the setulae you refer to ? ( not a very good photo I'm afraid ) Peter peterbolson attached the following image: ![]() [81.45Kb] |
|
|
|
| Nikita Vikhrev |
Posted on 09-06-2010 15:23
|
|
Member Location: Moscow, Russia Posts: 9555 Joined: 24.05.05 |
Yes, it is these very setulae
Nikita Vikhrev - Zool Museum of Moscow University |
|
|
|
| Jump to Forum: |
















