Diptera.info :: Identification queries :: Diptera (adults)
|
Xylophagus cinctus?
|
|
| kurt |
Posted on 22-05-2010 17:24
|
|
Member Location: Posts: 4340 Joined: 27.11.08 |
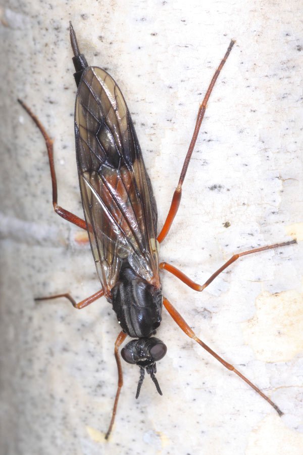
This fly was about 15 mm from head to ovipostor. Is it X. cinctus? Resting on Betula Photo from Norasundet, Ångermanland, Sweden 62.53N 17.45 E 22 may 2010 Thanks for your help in advance Regards Kurt Holmqvist kurt attached the following image: ![]() [89.94Kb] |
|
|
|
| kurt |
Posted on 22-05-2010 17:25
|
|
Member Location: Posts: 4340 Joined: 27.11.08 |
One more
kurt attached the following image: ![]() [91.27Kb] |
|
|
|
| kurt |
Posted on 22-05-2010 17:26
|
|
Member Location: Posts: 4340 Joined: 27.11.08 |
And last one
kurt attached the following image: ![]() [91.14Kb] |
|
|
|
| Paul Beuk |
Posted on 22-05-2010 20:58
|
|
Super Administrator Location: Netherlands Posts: 19403 Joined: 11.05.04 |
Apparently so, but I did not know the abdomen was (or could be) partly reddish.
Paul - - - - Paul Beuk on https://diptera.info |
| kurt |
Posted on 23-05-2010 15:46
|
|
Member Location: Posts: 4340 Joined: 27.11.08 |
Thanks for confirmation Paul Kurt Holmqvist |
|
|
|
| Jump to Forum: |
















