Diptera.info :: Identification queries :: Diptera (adults)
|
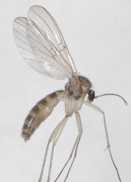
Gnoristinae, Mycetophilidae, NE HU, 05.2010
|
|
| pwalter |
Posted on 03-05-2010 09:12
|
|
Member Location: Miskolc, Hungary Posts: 3555 Joined: 06.11.08 |
Hi, is this a Gnoristinae female? 6 mm long, by brook. Regards, Walter pwalter attached the following image: ![]() [75.55Kb] Walter Pfliegler - Amateur Nature Photographer from Hungary (and molecular biologist) |
|
|
|
| xylo |
Posted on 03-05-2010 19:03
|
|
Member Location: Posts: 139 Joined: 21.08.04 |
Hi Walter, it is a specimen of Mycomya. Hard to tell whether male or female... so long, xylo |
| pwalter |
Posted on 03-05-2010 19:49
|
|
Member Location: Miskolc, Hungary Posts: 3555 Joined: 06.11.08 |
Thank You, compared with this specimen from same locality, same time the forst must be a male an this a female. Walter pwalter attached the following image: ![]() [70.87Kb] Walter Pfliegler - Amateur Nature Photographer from Hungary (and molecular biologist) |
|
|
|
| Paul Beuk |
Posted on 03-05-2010 20:04
|
|
Super Administrator Location: Netherlands Posts: 19403 Joined: 11.05.04 |
Could well be
Paul - - - - Paul Beuk on https://diptera.info |
| Jump to Forum: |















