Diptera.info :: Identification queries :: Diptera (adults)
|
Strange nematocera, NE HU, 04.2010 -> Sciaridae
|
|
| pwalter |
Posted on 02-05-2010 20:35
|
|
Member Location: Miskolc, Hungary Posts: 3555 Joined: 06.11.08 |
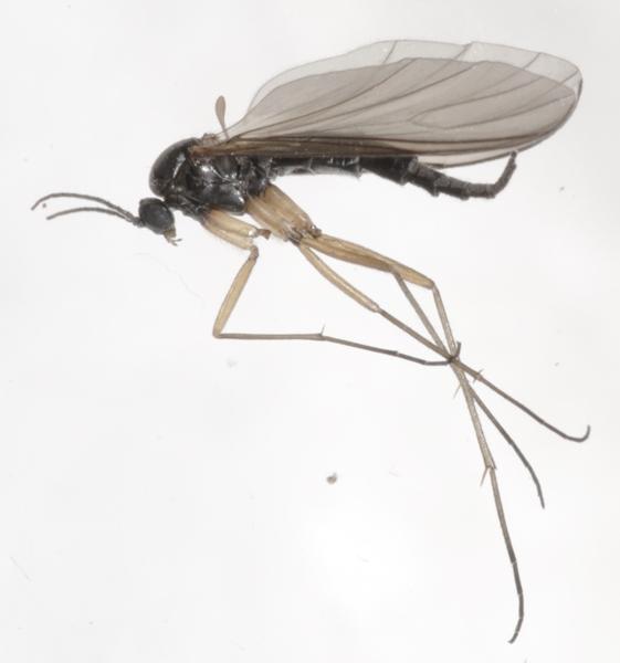
Hi, this weekend I was again by my favourite mountain brook, in the Bukk mountains in N-E Hungary. It was full of nematocerans, and the most interesting one seems to be this female. I've never seen such an abdomen. I thought it for some aberrant Keroplatidae, but found no match. Than it seemed Sciaridae-like, but it is 9 mm long. Than I was seraching for other families and found this Article: Phylogeny of the Mycetophiliformia, with proposal of the subfamilies Heterotrichinae, Ohakuneinae, and hiletrichinae for the Rangomaramidae. This Rangomaramidae has 1 european Genus, Heterotricha, formelry this was in Diadocidiidae. My specimen, however, has some similarities with Ohakunea and Colonomyia of Ohukaneinae. Both are exclusively Neotropical. So I obviously overlooked something But what if not? So I would be happy for any correction/opinion. I think this specimen may turn out to be some aberrant genus of a better known family (maybe Sciaridae?), but I wanted to mention this Rangomaramidae, because, well, who knows, nobody was expecting to find Diopsidae in Hungary, also.PS: I have not found any images of the wing of Sciarosoma, which is recorded from Europe, and the article mentions it as a possible member of Rangomaramidae. pwalter attached the following image: ![]() [88.32Kb] Edited by pwalter on 03-05-2010 12:15 Walter Pfliegler - Amateur Nature Photographer from Hungary (and molecular biologist) |
|
|
|
| pwalter |
Posted on 02-05-2010 20:35
|
|
Member Location: Miskolc, Hungary Posts: 3555 Joined: 06.11.08 |
2
pwalter attached the following image: ![]() [84.12Kb] Walter Pfliegler - Amateur Nature Photographer from Hungary (and molecular biologist) |
|
|
|
| pwalter |
Posted on 02-05-2010 20:36
|
|
Member Location: Miskolc, Hungary Posts: 3555 Joined: 06.11.08 |
3
pwalter attached the following image: ![]() [72.17Kb] Walter Pfliegler - Amateur Nature Photographer from Hungary (and molecular biologist) |
|
|
|
| pwalter |
Posted on 02-05-2010 20:36
|
|
Member Location: Miskolc, Hungary Posts: 3555 Joined: 06.11.08 |
4
pwalter attached the following image: ![]() [72.04Kb] Walter Pfliegler - Amateur Nature Photographer from Hungary (and molecular biologist) |
|
|
|
| phil withers |
Posted on 03-05-2010 10:43
|
|
Member Location: Lyon, France Posts: 521 Joined: 04.03.08 |
Sciarid female: quite typical (ovipositor telescopic, so can appear very long on occasion). |
|
|
|
| pwalter |
Posted on 03-05-2010 12:43
|
|
Member Location: Miskolc, Hungary Posts: 3555 Joined: 06.11.08 |
Thank You, also Sciarid. I think than it must be something close to Sciara (as others are smaller). I still find it a nice species, maybe I will be able to find a male also. Regards, Walter Walter Pfliegler - Amateur Nature Photographer from Hungary (and molecular biologist) |
|
|
|
| Jump to Forum: |













But what if not? So I would be happy for any correction/opinion. I think this specimen may turn out to be some aberrant genus of a better known family (maybe Sciaridae?), but I wanted to mention this Rangomaramidae, because, well, who knows, nobody was expecting to find Diopsidae in Hungary, also.


