Diptera.info :: Identification queries :: Diptera (adults)
|
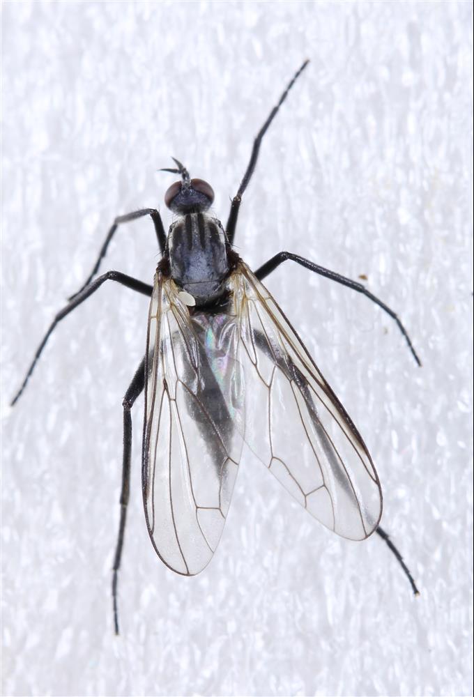
Empididae ?
|
|
| bertrandpami |
Posted on 17-05-2023 10:37
|
|
Member Location: France (near Compiègne) Posts: 1224 Joined: 10.06.11 |
Hi, No idea for family ... In the garden today. Cuise-La-motte (Northen France) - 17-05-2023 Many thanks. Michel bertrandpami attached the following image: ![]() [81.55Kb] Edited by bertrandpami on 18-05-2023 09:06 |
|
|
|
| bertrandpami |
Posted on 17-05-2023 10:37
|
|
Member Location: France (near Compiègne) Posts: 1224 Joined: 10.06.11 |
Other view :
bertrandpami attached the following image: ![]() [84.89Kb] |
|
|
|
| John Carr |
Posted on 17-05-2023 13:35
|
|
Super Administrator Location: Colorado, USA Posts: 10643 Joined: 22.10.10 |
Female Rhamphomyia (Megacyttarus). The enlarged discal cell closed near wing margin is distinctive. |
| bertrandpami |
Posted on 18-05-2023 09:45
|
|
Member Location: France (near Compiègne) Posts: 1224 Joined: 10.06.11 |
Thank you, John. Rhamphomyia crassirostris ? Best whishes. Michel Edited by bertrandpami on 18-05-2023 10:08 |
|
|
|
| Jump to Forum: |















