Diptera.info :: Identification queries :: Diptera (adults)
Who is here? 1 guest(s)
|
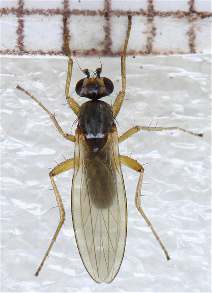
Lonchoptera --> lutea
|
|
| bertrandpami |
Posted on 19-02-2023 11:35
|
|
Member Location: France (near Compiègne) Posts: 1224 Joined: 10.06.11 |
Hi, Today in the kitchen. L. lutea ? Cuise-La-Motte (Northen France) - 19-02-2023 Many thanks. Michel bertrandpami attached the following image: ![]() [93Kb] Edited by bertrandpami on 19-02-2023 15:54 |
|
|
|
| Paul Beuk |
Posted on 19-02-2023 15:50
|
|
Super Administrator Location: Netherlands Posts: 19403 Joined: 11.05.04 |
Lonchoptera lutea
Paul - - - - Paul Beuk on https://diptera.info |
| bertrandpami |
Posted on 19-02-2023 15:53
|
|
Member Location: France (near Compiègne) Posts: 1224 Joined: 10.06.11 |
Many thanks, Paul. Michel |
|
|
|
| Jump to Forum: |














