Diptera.info :: Identification queries :: Diptera (adults)
Who is here? 1 guest(s)
|
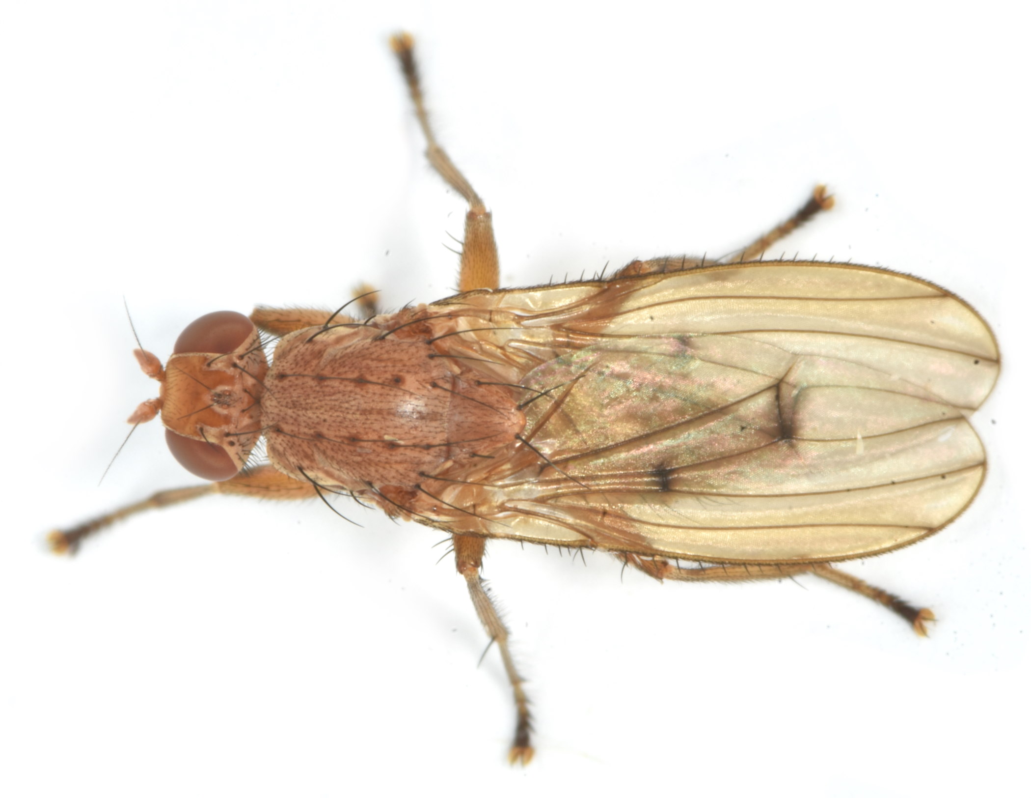
suillia? II - Suillia humilis
|
|
| Morten A Mjelde |
Posted on 09-01-2022 16:41
|
|
Member Location: Posts: 6434 Joined: 29.11.15 |
Light trap, Telemark, Norway October 7, 2021.
Morten A Mjelde attached the following image: ![]() [286.38Kb] Edited by Morten A Mjelde on 09-01-2022 22:57 |
|
|
|
| Morten A Mjelde |
Posted on 09-01-2022 16:41
|
|
Member Location: Posts: 6434 Joined: 29.11.15 |
2
Morten A Mjelde attached the following image: ![]() [295.08Kb] |
|
|
|
| Morten A Mjelde |
Posted on 09-01-2022 16:43
|
|
Member Location: Posts: 6434 Joined: 29.11.15 |
2
Morten A Mjelde attached the following image: ![]() [296.29Kb] |
|
|
|
| Morten A Mjelde |
Posted on 09-01-2022 22:56
|
|
Member Location: Posts: 6434 Joined: 29.11.15 |
Suillia humilis. (Det. Morgan Amundsen) |
|
|
|
| Jump to Forum: |















