Diptera.info :: Family forums :: Syrphidae
Who is here? 1 guest(s)
|
Platycheirus ID?
|
|
| runetk |
Posted on 03-11-2021 17:50
|
|
Member Location: Norway - Harstad 68deg North Posts: 325 Joined: 14.11.18 |
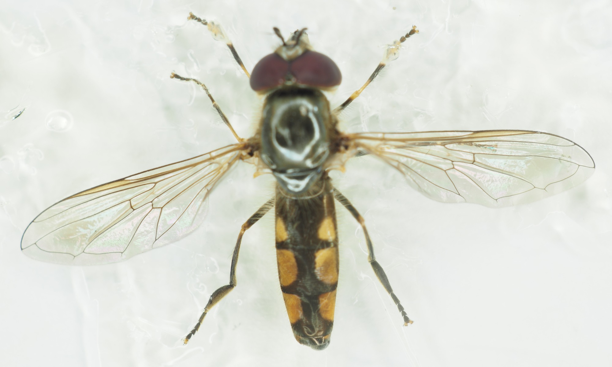
P.clypeatus? Location: North-Norway Harstad - Fauskevåg Store - In the county of Troms. L: 8.6mm Habitat: Garden. Date: 05.07.2020 (male) Best regards --Rune Kristiansen runetk attached the following image: ![]() [282.17Kb] Edited by runetk on 03-11-2021 17:52 |
|
|
|
| runetk |
Posted on 03-11-2021 17:51
|
|
Member Location: Norway - Harstad 68deg North Posts: 325 Joined: 14.11.18 |
PIC2
runetk attached the following image: ![]() [245.54Kb] |
|
|
|
| Jump to Forum: |














