Diptera.info :: Identification queries :: Diptera (adults)
Who is here? 1 guest(s)
|
Tipula nubeculosa (NL)
|
|
| blaauw7 |
Posted on 18-05-2021 10:45
|
|
Member Location: Wageningen, Netherlands Posts: 2566 Joined: 22.09.07 |
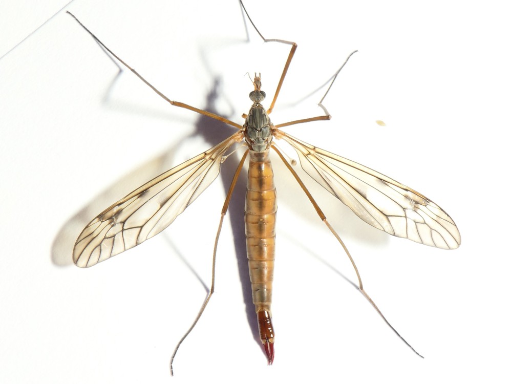
13 May, mid Netherlands, beech forest. Female Tipula nubeculosa? Incision of sternite 8 deeper than the base of the thin valves https://waarneming.nl/waarneming/view/213586891 Gr Dick blaauw7 attached the following image: ![]() [74.92Kb] Edited by blaauw7 on 18-05-2021 10:50 |
|
|
|
| blaauw7 |
Posted on 18-05-2021 10:45
|
|
Member Location: Wageningen, Netherlands Posts: 2566 Joined: 22.09.07 |
2
blaauw7 attached the following image: ![]() [149.31Kb] |
|
|
|
| blaauw7 |
Posted on 18-05-2021 10:46
|
|
Member Location: Wageningen, Netherlands Posts: 2566 Joined: 22.09.07 |
3
blaauw7 attached the following image: ![]() [212.98Kb] |
|
|
|
| Jump to Forum: |















